Version: 8.24.0Navigation überspringen
Future Construct AG
74.500 €

Sonstiges zum Kauf
74500 €

Fünf Garagen in Hermeskeil zu erwerben - Solide Investition in Ihre Zukunft!

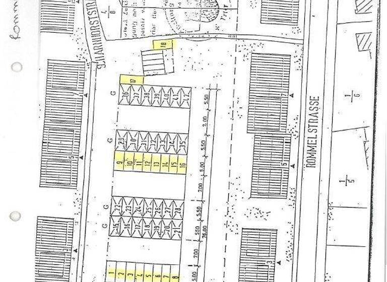
Zu erwerben ist ein Paket aus 5 Garagen in Hermeskeil hinter der Rommelstraße 1-11. Die Einfahrt befindet sich in der Scharnhorststrasse. Jede Garage ist für PKW's, Motorräder, oder Oldtimer geeignet. Der Garagenhof befindet sich in einem Wohngebiet mit diversen Mehrfamilienhäusern. Die Garagen sind ein einem ordentlichen Zustand und man ist nach Erwerb ein Miteigentümer der WEG. Vor Ort gibt es wenige Garagen, deshalb lassen sich diese gut vermieten. Diese Garage eignet sich perfekt zur Eigennutzung oder auch als Kapitalanlage. Bei der Grundstücksfläche handelt es sich um Teileigentum. In der Nähe des Objekts befinden sich ein Sportplatz, sowie ein Tennisplatz, außerdem ist der Bahnhof von Hermeskeil in direkter Nähe.

Ein wichtiger Hinweis: Bei diesen Garagen, handelt es sich um Betonfertiggaragen, diese können mit
ca. 5 % abgeschrieben werden.

Merkmale

Lage: 54411 Hermeskeil, Rommelstraße 1-11, Einfahrt über die Scharnhorststraße
Anzahl der Stellplätze: 5

Gesamtkaufpreis: 74.500 €

Mieteinnahmen pro Jahr: 3.120 €

Nebenkosten ca. pro Jahr: 300 €

Grundrisse

Grundrisse
1 / 1

Realisiere Dein Projekt

Bausubstanz und Energie

Der Anbieter hat keine Informationen zu Energieverbrauch oder Zustand der Immobilie bereit gestellt.

Preisdetails

Kaufpreis
74500 €
Provision für Käufer
Bitte beachte, das Angebot kann bei Vertragsabschluss die Zahlung einer Provision beinhalten. Weitere Informationen erhältst Du vom Anbieter.
Geschätzte Gesamtkosten
74.500 €1
Kaufpreis
74.500 €
1Der angezeigte Wert ist eine automatisch berechnete Schätzung von immowelt.

Lage

address-icon
Rommelstraße 1-11Hermeskeil (54411)
Hermeskeil ist eine Stadt im Landkreis Trier-Saarburg in Rheinland-Pfalz. Westlich von Hermeskeil verläuft die Bundesautobahn 1. Außerdem liegt Hermeskeil an den Bundesstraßen 52 (in Richtung Reinsfeld), 327 (in Richtung Thalfang/Morbach/Koblenz) und 407 (in Richtung Zerf/Saarburg/Perl) sowie an weiteren Landes- und Kreisstraßen.

Quelle: wikipedia.de

Weitere Informationen

Sonstiges Hinweis auf steuerliche Vorteile:
Die oben aufgeführten Zahlen und Angaben dienen ausschließlich der Kalkulation und sind ohne Gewähr. Maßgebend sind originale Mietverträge und Vereinbarungen im Kaufvertrag. Immobilien bieten zusätzliche Steuervorteile. Bitte lassen Sie sich nur von Ihrem Steuerberater ausführlich beraten.

Urheberrechtshinweis:
Die Bilder und Texte sind geistiges Eigentum der Future Construct AG. Eine unberechtigte Nutzung stellt eine Urheberrechtsverletzung dar, die anwaltlich nach § 97 Urheberrechtsgesetz (UrhG) gewürdigt wird. Stichworte Nutzfläche: 62,50 m², Gesamtfläche: 62,50 m², vermietbare Fläche: 62,50 m²

Weitere Services

Lust auf eine Besichtigung?
Eine Frage zur Immobilie?
Nachricht hinzufügen
Mit der Nutzung der oben angegebenen Telefonnummer oder durch Klicken auf „Kontaktieren“ akzeptierst Du die Allgemeinen Nutzungsbedingungen, denen Du jederzeit widersprechen kannst. Weitere Informationen zum Datenschutz

Über den Anbieter

Bahnhofstraße 25, 85570 Markt Schwaben
partner badge
6 Jahre Partnerschaft
Frau Karin Neulinger
Frau Karin NeulingerDein Kontakt
Online-ID: 2n9sx57
Referenznummer: VK325-5 (3) V10
Future Construct AG
title
Future Construct AG
Bewertung: 4,8 von 5 Sternen
Nachricht hinzufügen
Mit der Nutzung der oben angegebenen Telefonnummer oder durch Klicken auf „Kontaktieren“ akzeptierst Du die Allgemeinen Nutzungsbedingungen, denen Du jederzeit widersprechen kannst. Weitere Informationen zum Datenschutz
Wie zufrieden bist du mit dieser Seite (nicht mit der Immobilie selbst)?