Version: 8.25.1Navigation überspringen
ohne-makler.net - Immobilien selbst vermarkten
3.800 €
1.300 m² Lagerfläche

Lagerhalle zur Miete • provisionsfrei
3.800 €
1.300 m² Lagerfläche

Parchim - 1.300m² Produktions- und Lagerhalle (teilbar ab 200m²) sowie 16.000m² Freifläche verfügbar

Gewerbeimmobilie mit vielseitigen Nutzungsmöglichkeiten in verkehrsgünstiger Lage nahe der A24 (Abfahrt Parchim)
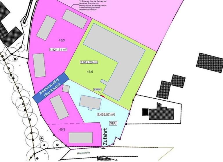
Zur Vermietung stehen mehrere flexibel nutzbare Gewerbeflächen auf einem großzügigen Gewerbehof in Stralendorf. Die Liegenschaft eignet sich hervorragend für Unternehmen aus den Bereichen Produktion, Lager, Kfz-Dienstleistungen oder Logistik.
Verfügbare Flächen:
.Produktions- und Lagerhalle (ca. 1.300?m²):
Moderne Halle mit ausreichend Deckenhöhe und Rangierfläche - ideal für Produktion, Handwerk, Lager oder Logistik. Die Anfahrt ist auch für größere Fahrzeuge problemlos möglich.
.Bisherige Halle (ca. 1.000-1.100?m²):
Gut belichtete Hallenfläche, derzeit durch einen Fahrzeugumbauer genutzt. Eignet sich insbesondere für Kfz-Betriebe, Umbau- oder Serviceeinheiten.
.Freifläche (ca. 10.000?m² gesamt):
Befestigte Außenflächen - teils einzeln anmietbar - nutzbar für Abstell-, Lager- oder Logistikzwecke. Eine Fläche von ca. 4.800?m² ist separat anfahrbar und eignet sich insbesondere für Logistik- oder Transportbetriebe.
.Optionales Einfamilienhaus (über 220?m² Wohn-/Nutzfläche):
Ideal als Büro- oder Wohnlösung auf dem Gelände, gepflegter Zustand.
.LKW-Waschhalle (separat anmietbar):
Nutzbar für eigene Flotten oder als Dienstleistungsangebot.
Lagevorteil:
Das Objekt befindet sich nur wenige Minuten von der Autobahn A24 (Abfahrt Parchim) entfernt und ist dadurch logistisch hervorragend angebunden. Die Umgebung ist geprägt von Gewerbe und Handwerk, was Synergien begünstigt.
Fazit:
Ein vielseitiger Gewerbestandort mit Hallen- und Freiflächenangebot, das sich individuell an die Bedürfnisse Ihres Unternehmens anpassen lässt.

Merkmale

  • frei ab sofort
  • 21.000 m² Grundstück
  • Barrierefrei
  • Einbauküche
  • Bad mit Dusche
  • 2 Stellplätze: 2 Carports
Duschbad, Einbauküche, Gäste-WC, Barrierefrei

Grundrisse

Grundrisse
1 / 1

Realisiere Dein Projekt

Bausubstanz und Energie

Energieausweis

Ein Energieausweis ist für diesen Gebäudetyp nicht notwendig.
  • Baujahr2001
  • HeizungsartOfen
  • EnergieträgerÖl
MediumRectangleTop

Mietkosten

Warmmiete
4.200 €
Nettomiete
3.800 €
Nebenkosten
200 €
Zusätzliche Kosten
Heizkosten
200 €
Provision für Mieter
provisionsfrei; keine Provision, courtagefrei
Kaution
15300 €
Weitere Preisinformationen
2 Carportplätze
Nettokaltmiete: 3.800,00 EUR

Lage

address-icon
Hauptstraße 38StralendorfStralendorf / Rom (19372)
Stralendorf (A24 Parchim) befindet sich in attraktiver Lage, etwa zehn Kilometer südwestlich von Schwerin und rund sieben Kilometer von Parchim entfernt. Die Bundesstraßen B?321 und B?106 sind innerhalb von fünf bzw. zehn Kilometern erreichbar und gewährleisten eine gute Verkehrsanbindung. Eine Anbindung an den öffentlichen Nahverkehr ist ebenfalls vorhanden; die Fahrtzeit zum zentralen Omnibusbahnhof (ZOB) in Parchim beträgt etwa zehn Minuten.
Infrastruktur (im Umkreis von 5 km):
Apotheke, Lebensmittel-Discount, Allgemeinmediziner, Kindergarten, Grundschule, Hauptschule, Realschule, Gymnasium, Gesamtschule, Öffentliche Verkehrsmittel

Weitere Informationen

Sonstiges Heizungsart: Ofenheizung
Energieträger: Öl


ohne-makler (OM) ist weder Anbieter noch Vermittler der Immobilie. OM betreibt eine Plattform für Immobilieneigentümer, die unter anderem die gleichzeitige Veröffentlichung einzelner Inserate auf mehreren Immobilienportalen ermöglicht. Die Inhalte dieser Inserate werden ausschließlich von Dritten verantwortet. Für die Richtigkeit, Vollständigkeit oder Rechtmäßigkeit der Angaben übernimmt OM keine Haftung. Hinweise auf mögliche Rechtsverstöße können jederzeit gemeldet werden und werden nach Prüfung umgehend bearbeitet. Stichworte Carport vorhanden, Lagerfläche: 1.300,00 m², Gesamtfläche: 1.300,00 m², Freifläche: 16.000,00 m², Anzahl der separaten WCs: 1, Bundesland: Mecklenburg-Vorpommern

Weitere Services

Lust auf eine Besichtigung?
Eine Frage zur Immobilie?
Mit einer persönlichen Nachricht hast du bessere Chancen auf eine Antwort.
Mit der Nutzung der oben angegebenen Telefonnummer oder durch Klicken auf „Kontaktieren“ akzeptierst Du die Allgemeinen Nutzungsbedingungen, denen Du jederzeit widersprechen kannst. Weitere Informationen zum Datenschutz

Über den Anbieter

Humboldtstr. 25 A, 21509 Glinde
partner badge
Partnerschaft
Privat vom EigentümerDein Kontakt
Keine Telefonnummer hinterlegt
Keine Telefonnummer hinterlegt

Weitere Unterlagen

Online-ID: 25WYR14NKTUI
Referenznummer: 364845
ohne-makler.net - Immobilien selbst vermarkten
ohne-makler.net - Immobilien selbst vermarkten
Mit einer persönlichen Nachricht hast du bessere Chancen auf eine Antwort.
Mit der Nutzung der oben angegebenen Telefonnummer oder durch Klicken auf „Kontaktieren“ akzeptierst Du die Allgemeinen Nutzungsbedingungen, denen Du jederzeit widersprechen kannst. Weitere Informationen zum Datenschutz
MediumRectangleTop
MediumRectangleBottom
MediumRectangleTop
Wie zufrieden bist du mit dieser Seite (nicht mit der Immobilie selbst)?