
HÜGEL Immobilien
Herr/Frau Ralf J. Hügel
053 ···
Nr. anzeigenPreise & Kosten
Provision für Käufer
4,76 % inkl. Mwst., zahlbar nach notarieller Beurkundung.
Lage
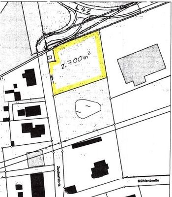
Weferlingen ist ein Ortsteil der Stadt Oebisfelde-Weferlingen im Landkreis Börde in Sachsen-Anhalt, ca. 26 km süd-östlich von Wolfsburg und 15 km nord-östlich von Helmstedt. Das Grundstück befindet sich direkt an der L42 unweit des Ortskernes der schönen alten Kleinstadt.
Das Grundstück
Details
Objektbeschreibung
Gut geschnittenes Grundstück in bester Lage (A-Lage) von Weferlingen. Auf den Nachbargrundstücken finden Sie u.a. Edeka, Aldi und Netto.
An der angrenzenden Straße liegen alle Versorgungsleitungen (auch Glasfaser).
Das Grundstück befindet sich in einem Mischgebiet, d.h. es wäre auch eine Wohnbebauung, ein...
Weitere Informationen
Sonstiges / Widerrufsrecht
Die hier gemachten Objektangaben wie z.B. Baujahr, Flächen-, Höhen-, Größenmaße und sonstige Angaben, Zustand etc. beruhen auf Angaben der Eigentümer oder anderer Quellen. Eine Gewähr für die Richtigkeit kann nicht übernommen werden!
Das Angebot ist freibleibend. Irrtum und Zwischenverkauf...
Anbieter der Immobilie
HÜGEL Immobilien
Alte Dorfstr. 2, 38459 Bahrdorf
Online-ID: 26ukp5j
Referenznummer: 514
Finde Angebote wie dieses
Hier geht es zu unserem Impressum, den Allgemeinen Geschäftsbedingungen, den Hinweisen zum Datenschutz und nutzungsbasierter Online-Werbung.