

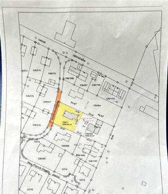
Grundstück zum Kauf575000 €575 €/m²1.000 m² Grundstück
575000 €
575 €/m²
1.000 m² Grundstück
Traumgrundstück ( 1000m² ) mit altem Haus, in Top Zentrumslage von Traunreut
Merkmale
- 1.000 m² Grundstück
Realisiere Dein Projekt
Bausubstanz und Energie
Der Anbieter hat keine Informationen zu Energieverbrauch oder Zustand der Immobilie bereit gestellt.
Preisdetails
Kaufpreis
575000 €
575 €/m²
Provision für Käufer
3% + 19% Mwst
Geschätzte Gesamtkosten
592.250 €1
Kaufpreis
575.000 €
Kaufnebenkosten
17.250 €
2Provision für Käufer (3%)
17.250 €
1Der angezeigte Wert ist eine automatisch berechnete Schätzung von immowelt.
2Bei den Angaben handelt es sich um ortsübliche Werte. Individuelle Kosten können abweichen.
Lage

Traunreut (83301)
Der Anbieter hat die genaue Adresse nicht freigegeben
Weitere Services
Lust auf eine Besichtigung?
Eine Frage zur Immobilie?
Ăśber den Anbieter
Online-ID: 29jqh5p


Immobilien Wildmann
Bewertung: 5 von 5 Sternen
Wie zufrieden bist du mit dieser Seite (nicht mit der Immobilie selbst)?

