Version: 8.25.1Navigation überspringen
400.000 €
885 m² Grundstück
Immowelt logo

Grundstück zum Kauf • provisionsfrei
400000 €
452 €/m²
885 m² Grundstück

Verwirklichen Sie Ihren Traum mit einem Eigenheim! Bauplatz in Prisdorf zu verkaufen

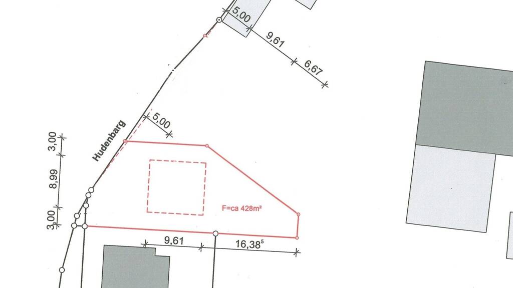
Dieses herrliche und ca. 855 ² große Baugrundstück (Flurstück Nr. 860, 861 und 846) liegt in einer Nebenstraße von Prisdorf, einem beliebten Wohnort des Kreises Pinnebergs.

Die Bebauung kann nach § 34 "Nachbarschaftsbebauung" voraussichtlich mit einem Einfamilienhaus erfolgen. Eine Bauvoranfrage dafür liegt in positiver Form vor. Eine individuelle Bauvoranfrage ist jedoch vom Käufer direkt zu stellen.

Machen Sie sich gerne mit der Lage und der benachbarten Bebauung vertraut. Wir freuen uns auf Ihre Anfrage!

Merkmale

  • Bezug: nach Absprache
  • 885 m² Grundstück
  • bebaubar nach §34 Nachbarbebauung
- Flurstück Nr. 860, 861 846 insgesamt ca. 855 m²
- kein einzelner Abverkauf der Flurstücke
- Bebaubar nach §34 Nachbarschaftsbebauung
- Voraussichtlich bebaubar mit einem EFH oder DHH

Grundrisse

Grundrisse
1 / 1

Realisiere Dein Projekt

Bausubstanz und Energie

Möchtest du Details zum Energieverbrauch?info_energy_calculation-icon
Immowelt logo

Preisdetails

Kaufpreis
400000 €
451,98 €/m²
Provision für Käufer
provisionsfrei
Geschätzte Gesamtkosten
400.000 €1
Kaufpreis
400.000 €
1Der angezeigte Wert ist eine automatisch berechnete Schätzung von immowelt.

Lage

address-icon
Prisdorf (25497)
Der Anbieter hat die genaue Adresse nicht freigegeben
Das Grundstück befindet sich in einer verkehrsberuhigten Straße von Prisdorf. In unmittelbarer Nachbarschaft ist die Freiwillige Feuerwehr ansässig sowie das Gemeindezentrum und ein Kindergarten.

Prisdorf ist eine Gemeinde im Kreis Pinneberg vor den Toren Hamburgs an der Landstraße 107 zwischen Pinneberg und Tornesch gelegen, inmitten des größten zusammenhängenden Baumschulgebiet Europas.

Die Gemeinde umfasst rund 2.350 Einwohnern und bietet alles, was zum täglichen Leben benötigt wird. Ein kleines Industriegebiet mit vielen Einkaufsmöglichkeiten, ein Kindergarten, ein Grundschule sowie diverse Sport- und Freizeitangebote sowie ein Allgemeinmediziner und ein Zahnarzt sind am Ort ansässig.

Prisdorf ist bequem über die Autobahnanschlussstelle A23 (Pinneberg-Nord) zu erreichen, welche auch die direkte Verbindung nach Hamburg darstellt. In nur 20 Minuten sind Sie im Großstadtgetummel von Hamburg! Eine eigene Bahnhofstation im Ort gewährleistet öffentliche Anbindung nach Hamburg.

Die Kombination aus ländlicher Idylle und die Nähe zur Metropole Hamburg machen Prisdorf ganz besonders interessant für Familien und Berufspendler!

Weitere Informationen

Sonstiges Die Leitungspläne für Gas, Wasser und Strom und zur Entwässerung liegen vor und können gern abgefordert werden. Die Erschließungskosten sind vom Käufer zu tragen.

Hinweise seitens des Kreisbauamtes:
In der Straße befindet sich keine öffentliche Kanalisation für die Niederschlagswasserentsorgung. Auf dem Grundstück ist eine Versickerungsanlage herzurichten, die Kosten hierfür trägt der Käufer.

Weitere Services

Lust auf eine Besichtigung?
Eine Frage zur Immobilie?
Nachricht hinzufügen
Mit der Nutzung der oben angegebenen Telefonnummer oder durch Klicken auf „Kontaktieren“ akzeptierst Du die Allgemeinen Nutzungsbedingungen, denen Du jederzeit widersprechen kannst. Weitere Informationen zum Datenschutz

Über den Anbieter

Kaltenweide 56, 25335 Elmshorn
partner badge
10 Jahre Partnerschaft
Herr Dennis Borchert
Herr Dennis BorchertDein Kontakt
Online-ID: 23VY7HIZBHBN
Referenznummer: VI-Nr.3053
Borchert Immobilien GmbH
title
Borchert Immobilien GmbH
Bewertung: 4,3 von 5 Sternen
Nachricht hinzufügen
Mit der Nutzung der oben angegebenen Telefonnummer oder durch Klicken auf „Kontaktieren“ akzeptierst Du die Allgemeinen Nutzungsbedingungen, denen Du jederzeit widersprechen kannst. Weitere Informationen zum Datenschutz
Wie zufrieden bist du mit dieser Seite (nicht mit der Immobilie selbst)?