


1 / 13



1 / 13
Doppelhaushälfte zum Kauf539999 €539.999 €951 €/m²4 Zimmer • 100 m² • 568 m² Grundstück
539999 €539.999 €
951 €/m²
4 Zimmer • 100 m² • 568 m² Grundstück
Sonnige Westausrichtung für Ihren zukünftigen Wohntraum
Willkommen in Strasshof an der Nordbahn, wo außergewöhnliche Baugrundstücke auf Sie warten. Die Lage bietet die perfekte Kulisse für Ihre Wohnträume, egal ob Sie eine Familie sind, ein Investor, ein Bauträger oder auf der Suche nach einem Ort sind, um Ihr Traumhaus zu errichten.
Die Grundstücke liegen in einer ruhigen und dennoch zentralen Gegend, nur einen Steinwurf von Schulen, Geschäften und öffentlichen Verkehrsmitteln entfernt.
Genießen Sie die Vorzüge der umliegenden Natur, während Sie dennoch die Annehmlichkeiten des städtischen Lebens in der Nähe haben und nutzen Sie die Gelegenheit, Ihre Wohnträume zu verwirklichen oder in ein vielversprechendes Immobilienprojekt zu investieren.
Die Baugrundstücke zeichnen sich auch durch Ihre wertvolle westseitige Ausrichtung aus. Die Sonne begleitet Sie hier den ganzen Tag, schenkt strahlende Innenräume, spart Energiekosten und schafft einen blühenden Garten- und Outdoor-Bereich. Entdecken Sie die Vorteile dieser sonnigen Ausrichtung und gestalten Sie Ihr Traumhaus im besten Licht!
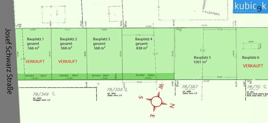
Es stehen Grundstücke im Ausmaß von 568 m² bis 2.407 m² zur Verfügung.
Die Widmung laut derzeit gültigen Flächenwidmungs-/ und Bebauungsplan lautet; BW (Bauland-Wohngebiet), offene Bebauung, Geschossflächenzahl 0,4, Traufen Höhe 7 Meter (wobei die Gesamtgebäudehöhe inkl. Dach 8,5 Meter nicht überschritten werden darf). Die Vorgartentiefe beträgt 4 Meter.
Die Gemeindeaufschließungskosten/Ergänzungsabgaben sowie Anschluss bzw. Erschließungskosten sind noch zu entrichten.
Baugrundstücke in ruhiger und dennoch zentraler Lage
? Sonnige Westausrichtung
? Grundstücke im Ausmaß von 568 m² bis 2.407 m²
? Widmung: BW, offene Bebauung, Geschoßflächenzahl 0,4, Traufen Höhe 7 m
? Gemeindeaufschließungskosten sowie Anschluss bzw. Erschließungskosten sind noch zu entrichten
Ideal gelegen für Wohnen, Bauen oder Investieren
Willkommen in Ihrem zukünftigen Skyhouse!
Es gibt flexible Möglichkeiten einen modernen Neubau zu errichten:
Variante 1: Einfamilienhaus (Skyhouse 114m²) - 566 m² Eigengrund - Kaufpreis: ab € 629.999,--
Variante 2: Einfamilienhaus (Skyhouse 127m²) - 566 m² Eigengrund - Kaufpreis: ab € 669.999,--
Variante 3: Doppelhaushälfte(Skyhouse 100m²) - ca. 500 m² Eigengrund - Kaufpreis: ab € 539.999,--
(ohne Keller, belagsfertig inkl. Aufschließungskosten)
Individuelle Planung
Durch die ökologische Bauweise wird ein sehr geringer Heizwärmebedarfswert ermittelt.
Folgende Highlight warten auf Sie
? Heizsystem: LW Pumpe mit Fußbodenheizung
? Fenster: Verglasung/3-fach, Klarglas
? Moderne Kubaturen
? Architektur zum Mitgestalten
? Bauausführung mit namhaften, inländischen Unternehmen
? Interessante Ausstattungsvarianten
? Kompetente Abwicklung mit Bauaufsicht
? Außengestaltung
? Stahlbetonkeller (Vollkeller)
? Doppel-Carport/Garage
? Kamin
? Pool
? Dachterrasse
? Galerie
? Wellness
? Photovoltaikanlage
? Innovatives Strom- und Energiespeichersystem
? Wasserrückgewinnung
? Aufzug (Barrierefrei)
? Smart Home
? Verschiedene Größen
Noch nichts gefunden? Wir informieren Sie unverbindlich über geeignete Immobilienangebote noch vor allen anderen.
Legen Sie jetzt Ihren individuellen Suchagenten unter folgendem Link an. Wir schicken Ihnen passende Immobilien exklusiv vorab zu.
Suchagent anlegen [https://www.immo-kubicek.at/kostenlose-vormerkung/] - https://immo-kubicek.service.immo/registrieren/de
Hinweis gemäß Energieausweisvorlagegesetz: Ein Energieausweis wurde vom Eigentümer bzw. Verkäufer, nach unserer Aufklärung über die generell geltende Vorlagepflicht, sowie Aufforderung zu seiner Erstellung noch nicht vorgelegt. Daher gilt zumindest eine dem Alter und der Art des Gebäudes entsprechende Gesamtenergieeffizienz als vereinbart. Wir übernehmen keinerlei Gewähr oder Haftung für die tatsächliche Energieeffizienz der angebotenen Immobilie.
Wir weisen darauf hin, dass zwischen dem Vermittler und dem zu vermittelnden Dritten ein familiäres oder wirtschaftliches Naheverhältnis besteht.
Der Vermittler ist als Doppelmakler tätig.
-------------------------
Ihre Immobilie - unsere Kunden: Perfekte Vermittlung seit über 90 Jahren.
Wir bringen seit mehr als 90 Jahren erfolgreich Immobilienbesitzer und Käufer/Mieter zusammen. Ob Haus, Grundstück oder Wohnung - für unsere 1.300 vorgemerkten Kunden suchen wir derzeit Immobilien in Wien und Niederösterreich.
Als stolzer Träger des IMMY-Qualitätspreises stehen wir für höchste Servicequalität und freuen uns darauf, Sie persönlich zu beraten.
Kontaktieren Sie uns noch heute!
immo-kubicek.at [https://www.immo-kubicek.at]| +43 1 2031168-0 [tel:+43120311680]
Infrastruktur / Entfernungen
Gesundheit
Arzt <1.500m
Apotheke <2.500m
Klinik <6.000m
Kinder & Schulen
Kindergarten <500m
Schule <1.000m
Nahversorgung
Supermarkt <500m
Bäckerei <2.500m
Sonstige
Bank <2.000m
Geldautomat <2.000m
Post <2.500m
Polizei <5.500m
Verkehr
Bus <500m
Bahnhof <1.000m
Angaben Entfernung Luftlinie / Quelle: OpenStreetMap
Die Grundstücke liegen in einer ruhigen und dennoch zentralen Gegend, nur einen Steinwurf von Schulen, Geschäften und öffentlichen Verkehrsmitteln entfernt.
Genießen Sie die Vorzüge der umliegenden Natur, während Sie dennoch die Annehmlichkeiten des städtischen Lebens in der Nähe haben und nutzen Sie die Gelegenheit, Ihre Wohnträume zu verwirklichen oder in ein vielversprechendes Immobilienprojekt zu investieren.
Die Baugrundstücke zeichnen sich auch durch Ihre wertvolle westseitige Ausrichtung aus. Die Sonne begleitet Sie hier den ganzen Tag, schenkt strahlende Innenräume, spart Energiekosten und schafft einen blühenden Garten- und Outdoor-Bereich. Entdecken Sie die Vorteile dieser sonnigen Ausrichtung und gestalten Sie Ihr Traumhaus im besten Licht!
Es stehen Grundstücke im Ausmaß von 568 m² bis 2.407 m² zur Verfügung.
Die Widmung laut derzeit gültigen Flächenwidmungs-/ und Bebauungsplan lautet; BW (Bauland-Wohngebiet), offene Bebauung, Geschossflächenzahl 0,4, Traufen Höhe 7 Meter (wobei die Gesamtgebäudehöhe inkl. Dach 8,5 Meter nicht überschritten werden darf). Die Vorgartentiefe beträgt 4 Meter.
Die Gemeindeaufschließungskosten/Ergänzungsabgaben sowie Anschluss bzw. Erschließungskosten sind noch zu entrichten.
Baugrundstücke in ruhiger und dennoch zentraler Lage
? Sonnige Westausrichtung
? Grundstücke im Ausmaß von 568 m² bis 2.407 m²
? Widmung: BW, offene Bebauung, Geschoßflächenzahl 0,4, Traufen Höhe 7 m
? Gemeindeaufschließungskosten sowie Anschluss bzw. Erschließungskosten sind noch zu entrichten
Ideal gelegen für Wohnen, Bauen oder Investieren
Willkommen in Ihrem zukünftigen Skyhouse!
Es gibt flexible Möglichkeiten einen modernen Neubau zu errichten:
Variante 1: Einfamilienhaus (Skyhouse 114m²) - 566 m² Eigengrund - Kaufpreis: ab € 629.999,--
Variante 2: Einfamilienhaus (Skyhouse 127m²) - 566 m² Eigengrund - Kaufpreis: ab € 669.999,--
Variante 3: Doppelhaushälfte(Skyhouse 100m²) - ca. 500 m² Eigengrund - Kaufpreis: ab € 539.999,--
(ohne Keller, belagsfertig inkl. Aufschließungskosten)
Individuelle Planung
Durch die ökologische Bauweise wird ein sehr geringer Heizwärmebedarfswert ermittelt.
Folgende Highlight warten auf Sie
? Heizsystem: LW Pumpe mit Fußbodenheizung
? Fenster: Verglasung/3-fach, Klarglas
? Moderne Kubaturen
? Architektur zum Mitgestalten
? Bauausführung mit namhaften, inländischen Unternehmen
? Interessante Ausstattungsvarianten
? Kompetente Abwicklung mit Bauaufsicht
? Außengestaltung
? Stahlbetonkeller (Vollkeller)
? Doppel-Carport/Garage
? Kamin
? Pool
? Dachterrasse
? Galerie
? Wellness
? Photovoltaikanlage
? Innovatives Strom- und Energiespeichersystem
? Wasserrückgewinnung
? Aufzug (Barrierefrei)
? Smart Home
? Verschiedene Größen
Noch nichts gefunden? Wir informieren Sie unverbindlich über geeignete Immobilienangebote noch vor allen anderen.
Legen Sie jetzt Ihren individuellen Suchagenten unter folgendem Link an. Wir schicken Ihnen passende Immobilien exklusiv vorab zu.
Suchagent anlegen [https://www.immo-kubicek.at/kostenlose-vormerkung/] - https://immo-kubicek.service.immo/registrieren/de
Hinweis gemäß Energieausweisvorlagegesetz: Ein Energieausweis wurde vom Eigentümer bzw. Verkäufer, nach unserer Aufklärung über die generell geltende Vorlagepflicht, sowie Aufforderung zu seiner Erstellung noch nicht vorgelegt. Daher gilt zumindest eine dem Alter und der Art des Gebäudes entsprechende Gesamtenergieeffizienz als vereinbart. Wir übernehmen keinerlei Gewähr oder Haftung für die tatsächliche Energieeffizienz der angebotenen Immobilie.
Wir weisen darauf hin, dass zwischen dem Vermittler und dem zu vermittelnden Dritten ein familiäres oder wirtschaftliches Naheverhältnis besteht.
Der Vermittler ist als Doppelmakler tätig.
-------------------------
Ihre Immobilie - unsere Kunden: Perfekte Vermittlung seit über 90 Jahren.
Wir bringen seit mehr als 90 Jahren erfolgreich Immobilienbesitzer und Käufer/Mieter zusammen. Ob Haus, Grundstück oder Wohnung - für unsere 1.300 vorgemerkten Kunden suchen wir derzeit Immobilien in Wien und Niederösterreich.
Als stolzer Träger des IMMY-Qualitätspreises stehen wir für höchste Servicequalität und freuen uns darauf, Sie persönlich zu beraten.
Kontaktieren Sie uns noch heute!
immo-kubicek.at [https://www.immo-kubicek.at]| +43 1 2031168-0 [tel:+43120311680]
Infrastruktur / Entfernungen
Gesundheit
Arzt <1.500m
Apotheke <2.500m
Klinik <6.000m
Kinder & Schulen
Kindergarten <500m
Schule <1.000m
Nahversorgung
Supermarkt <500m
Bäckerei <2.500m
Sonstige
Bank <2.000m
Geldautomat <2.000m
Post <2.500m
Polizei <5.500m
Verkehr
Bus <500m
Bahnhof <1.000m
Angaben Entfernung Luftlinie / Quelle: OpenStreetMap
Merkmale
- 568 m² Grundstück
Grundrisse
Grundrisse
1 / 1
Realisiere Dein Projekt
Bausubstanz und Energie
Heizwärmebedarf (HWB)
A
Gesamtenergieeffizienz (fGEE)
A
Preisdetails
Kaufpreis
539999 €539.999 €
950,70 €/m²
Provision für Käufer
19.439,96 € inkl. 20% USt.
Lage

Strasshof an der Nordbahn (2231)
Die neu entstehenden Bauplätze befinden sich in Strasshof an der Nordbahn etwa 10 km von der Wiener Stadtgrenze entfernt. Strasshof liegt am nördlichen Rande des Marchfeldes an der B8, ist ein Ort mit überwiegendem Siedlungscharakter und regem Wirtschaftsleben. Bei Wien Süßenbrunn hat man Anschluss ans Autobahnnetz (S1/S2). Mit der S-Bahn Station-Silberwald rund 2 km entfernt, sowie S-Bahn Station-Strasshof rund 2,5 km entfernt erreichen Sie Wien- Leopoldau (Anschluss U1) in nur 15 Fahrminuten. Zustiegsmöglichkeiten in Wien u.a. am Hauptbahnhof, Landstraße/Wien Mitte, Praterstern, Floridsdorf und Leopoldau, weiters in Deutsch-Wagram. Die Züge enden in Gänserndorf, Marchegg, Breclav oder Bernhardsthal.
In unmittelbarer Nähe befindet sich ein Billa-Plus, das Cafe Pub Silberwald, eine Trafik, sowie ein Lagerhaus Bau- & Gartenmarkt. Weitere Geschäfte des täglichen Bedarfs wie z.B. BIPA, Hofer, Penny Markt, TEDi und Friseur sind allesamt in rund 15 Minuten zu Fuß erreichbar, sowie das Fitnesscenter Clever Fit.
Zudem sind Tankstellen, Banken, Apotheke, Ärzte, Post und Restaurants gut mit dem Auto erreichbar. Nur ca. 15 Gehminuten entfernt befindet sich die Volksschule-, Volkshochschule- und Europa-Mittel-Schule Strasshof. Nur eine Gasse weiter steht Ihnen ein Kindergarten zur Verfügung.
Unweit der Stadt Wien bietet Strasshof mit BMX-Radwanderweg, Rodelberg und Beachvolleyballplatz das ganze Jahr über tolle Freizeitmöglichkeiten. Das Heimatmuseum, das bekannte Eisenbahnmuseum "Das Heizhaus" sowie die Dauerausstellung "Unser Strasshof - Gestern Heute Morgen" im Kulturzentrum Marchfeld Strasshof laden laufend zum Staunen und Entdecken ein.
In unmittelbarer Nähe befindet sich ein Billa-Plus, das Cafe Pub Silberwald, eine Trafik, sowie ein Lagerhaus Bau- & Gartenmarkt. Weitere Geschäfte des täglichen Bedarfs wie z.B. BIPA, Hofer, Penny Markt, TEDi und Friseur sind allesamt in rund 15 Minuten zu Fuß erreichbar, sowie das Fitnesscenter Clever Fit.
Zudem sind Tankstellen, Banken, Apotheke, Ärzte, Post und Restaurants gut mit dem Auto erreichbar. Nur ca. 15 Gehminuten entfernt befindet sich die Volksschule-, Volkshochschule- und Europa-Mittel-Schule Strasshof. Nur eine Gasse weiter steht Ihnen ein Kindergarten zur Verfügung.
Unweit der Stadt Wien bietet Strasshof mit BMX-Radwanderweg, Rodelberg und Beachvolleyballplatz das ganze Jahr über tolle Freizeitmöglichkeiten. Das Heimatmuseum, das bekannte Eisenbahnmuseum "Das Heizhaus" sowie die Dauerausstellung "Unser Strasshof - Gestern Heute Morgen" im Kulturzentrum Marchfeld Strasshof laden laufend zum Staunen und Entdecken ein.
Weitere Informationen
Stichworte
Freifläche: 500,00 m², Kellerfläche: 52,84 m², Bundesland: Niederösterreich
Weitere Services
Lust auf eine Besichtigung?
Eine Frage zur Immobilie?
Über den Anbieter
Donaufelderstraße 261, 1220 WIEN
Partnerschaft
Herr Thomas KubicekDein Kontakt
Online-ID: 23I3QAZ99TP1
Referenznummer: OBGC20231114113913741020470660c

kubicek immobilien
4/5Bewertung: 4 von 5 Sternen
Wie zufrieden bist du mit dieser Seite (nicht mit der Immobilie selbst)?