Version: 8.24.1Navigation überspringen
Preis auf Anfrage
3.379 m² Grundstück
Immowelt logo

Gewerbegrundstück zum Kauf
3.379 m² Grundstück

Traumhaftes Betriebsgrundstück in begehrter Lage von Graz - Perfekt für Ihr zukünftiges Geschäftsprojekt!

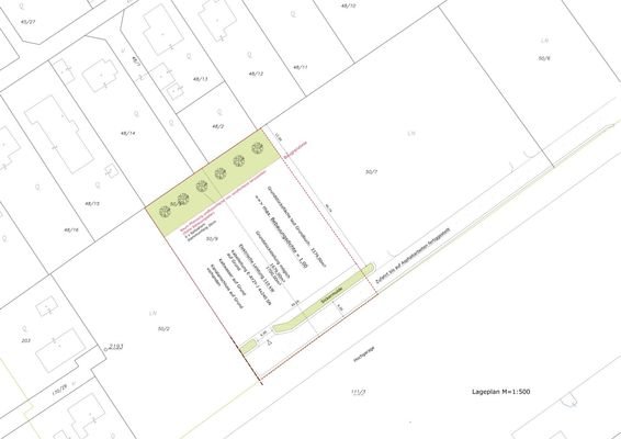
Willkommen in Graz, der charmanten Hauptstadt der Steiermark! Hier haben Sie die einmalige Möglichkeit, ein Grundstück mit einer Fläche von 3379m² zu erwerben, welches als Betriebsbaugrund genutzt werden kann. Diese Immobilie befindet sich in der begehrten Gegend von 8041 Graz und bietet Ihnen nicht nur eine perfekte Lage, sondern auch vielfältige Möglichkeiten für Ihr Unternehmen.

Das Grundstück liegt in einem Gewerbegebiet, welches eine ideale Umgebung für Ihr Unternehmen bietet. Mit einer Fläche von 3379m² haben Sie ausreichend Platz, um Ihre Träume und Pläne zu verwirklichen. Egal ob Sie ein Bürogebäude, eine Produktionsstätte oder ein Lagerhaus errichten möchten, hier haben Sie genügend Platz für Ihre individuellen Bedürfnisse.

Die Verkehrsanbindung dieses Grundstücks ist einfach unschlagbar. Mit einer Bushaltestelle und einem Autobahnanschluss  in unmittelbarer Nähe, haben Sie die Möglichkeit, Ihre Mitarbeiter und Kunden problemlos zu erreichen. Auch für den Warentransport bietet die Lage beste Voraussetzungen. Sie werden schnell und bequem überall hin gelangen.

Graz ist nicht nur eine wunderschöne Stadt mit viel Kultur und Geschichte, sondern auch ein bedeutender Wirtschaftsstandort. Mit zahlreichen Unternehmen aus den Bereichen Technologie, Forschung und Dienstleistung, bietet Ihnen Graz ein dynamisches und innovatives Umfeld für Ihr Unternehmen. Nutzen Sie diese Gelegenheit und positionieren Sie sich in dem aufstrebenden Markt von 8041 Graz.

Das Grundstück ist bereits bebaubar und verfügt über alle notwendigen Anschlüsse wie Strom, Wasser und Kanal. Auch die Zufahrtsstraße ist bereits vorhanden. Sie können also direkt mit der Planung und Umsetzung Ihrer Ideen beginnen und müssen sich keine Gedanken über langwierige Genehmigungsverfahren machen.

Worauf warten Sie noch? Nutzen Sie diese einmalige Gelegenheit und sichern Sie sich jetzt dieses Grundstück. Mit seiner perfekten Lage, der ausgezeichneten Infrastruktur und den unzähligen Möglichkeiten für Ihr Unternehmen, ist dieses Grundstück die ideale Investition in Ihre Zukunft. Zögern Sie nicht länger und kontaktieren Sie uns noch heute, um weitere Informationen zu erhalten. Wir freuen uns darauf, Ihnen bei der Verwirklichung Ihrer unternehmerischen Pläne zu helfen!
 

 

_Die angegebenen Daten stammen vom Eigentümer und/oder Dritten und wurden mit Sorgfalt erhoben. Für die Richtigkeit und Vollständigkeit kann jedoch keine Haftung übernommen werden. Zahlenangaben können gegebenenfalls gerundet oder geschätzt sein. Das Angebot ist freibleibend und unverbindlich. Irrtümer und Änderungen sind vorbehalten. Nachdruck/Vervielfältigung nur mit Genehmigung der Immo-Circle GesbR._

Wir weisen darauf hin, dass zwischen dem Vermittler und dem zu vermittelnden Dritten ein familiäres oder wirtschaftliches Naheverhältnis besteht.

Der Vermittler ist als Doppelmakler tätig.

Infrastruktur / Entfernungen

Gesundheit
Arzt <500m
Apotheke <500m
Klinik <4.500m
Krankenhaus <4.000m

Kinder & Schulen
Schule <500m
Kindergarten <500m
Universität <3.000m
Höhere Schule <4.000m

Nahversorgung
Supermarkt <500m
Bäckerei <1.000m
Einkaufszentrum <1.500m

Sonstige
Geldautomat <1.000m
Bank <500m
Post <1.500m
Polizei <1.500m

Verkehr
Bus <500m
Straßenbahn <1.500m
Autobahnanschluss <1.000m
Bahnhof <1.000m
Flughafen <5.500m

Angaben Entfernung Luftlinie / Quelle: OpenStreetMap

Merkmale

  • 3.379 m² Grundstück

Realisiere Dein Projekt

Bausubstanz und Energie

Der Anbieter hat keine Informationen zu Energieverbrauch oder Zustand der Immobilie bereitgestellt.
Immowelt logo

Preisdetails

Provision für Käufer
3% des Kaufpreises zzgl. 20% USt.

Lage

address-icon
LiebenauGraz (8041)
- Das Grundstück liegt in einer gut erschlossenen Gegend, umgeben von anderen Gewerbebetrieben und Unternehmen.
- Die Infrastruktur ist sehr gut ausgebaut, mit schnellem Zugang zu verschiedenen öffentlichen Verkehrsmitteln und wichtigen Einrichtungen des täglichen Bedarfs.
- Die Autobahn ist in nur wenigen Minuten erreichbar, was eine schnelle Anbindung an andere Städte und Regionen ermöglicht.

Weitere Informationen

Sonstiges
- https://immobilien.immo-circle.at/3d-rundgang/Liebenauer/ Stichworte Bundesland: Steiermark

Weitere Services

Lust auf eine Besichtigung?
Eine Frage zur Immobilie?
Nachricht hinzufügen
Mit der Nutzung der oben angegebenen Telefonnummer oder durch Klicken auf „Kontaktieren“ akzeptierst Du die Allgemeinen Nutzungsbedingungen, denen Du jederzeit widersprechen kannst. Weitere Informationen zum Datenschutz

Über den Anbieter

Neubaugasse 107, 8020 GRAZ
partner badge
Partnerschaft
Frau Daniela FallmannDein Kontakt
Online-ID: 249V3BFI52FR
Referenznummer: OBGC2024022815255436707f6bf075f
Immo Circle GesbR
Nachricht hinzufügen
Mit der Nutzung der oben angegebenen Telefonnummer oder durch Klicken auf „Kontaktieren“ akzeptierst Du die Allgemeinen Nutzungsbedingungen, denen Du jederzeit widersprechen kannst. Weitere Informationen zum Datenschutz
Wie zufrieden bist du mit dieser Seite (nicht mit der Immobilie selbst)?