
Raiffeisenbank Kreis Kelheim eG
Herr Alois Holzapfel
004 ···
Nr. anzeigenPreise & Kosten
Provision für Käufer
3,570 % inkl. ges. MwSt.
Lage
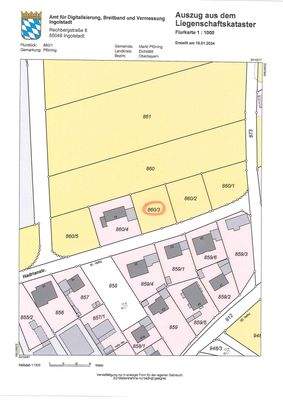
Das zum Verkauf stehende Grundstück befindet sich in der Hadrianstraße 21, im Markt Pförring.
Die Lage des Grundstücks ist äußerst attraktiv, da es sich in einer ruhigen Wohngegend befindet und dennoch eine gute Anbindung an die umliegenden Städte und Einrichtungen bietet.
Hier können Sie die Vorzüge des Landlebens...
Das Grundstück
Details
Objektbeschreibung
Zum Verkauf steht ein attraktives Grundstück in Pförring ohne Bauverpflichtung.
Das Grundstück eignet sich ideal für den Bau eines Wohnhauses und bietet somit die Möglichkeit, Ihren individuellen Wohntraum zu verwirklichen.
Die Bebauung ist ab sofort möglich.
Sie können das Grundstück mit einem Einfamilienhaus...
Weitere Informationen
Sonstiges
Dieses Exposé sowie die beigefügten Anlagen basieren ausschließlich auf Angaben des Auftraggebers, für die wir keine Haftung übernehmen können. Alle Größenangaben sind ca.-Werte. Zwischenverfügung/Irrtum vorbehalten.
Wir sind auch für den Verkäufer des Objekts entgeltlich tätig.
Wenn Sie ein Objekt...
Anbieter der Immobilie
Raiffeisenbank Kreis Kelheim eG
Kaiser-Heinrich II.-Str. 2, 93077 Bad Abbach
Online-ID: 2dkm859
Referenznummer: 2024-71-1168
Finde Angebote wie dieses
Hier geht es zu unserem Impressum, den Allgemeinen Geschäftsbedingungen, den Hinweisen zum Datenschutz und nutzungsbasierter Online-Werbung.