
Lean.der Grundstücksentwicklungs- und Beteiligungsgesellschaft mbH
Herr Jonas Dawo
004 ···
Nr. anzeigenPreise & Kosten
Provision für Käufer
provisionsfrei
Lage
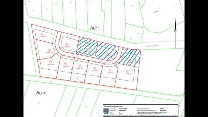
Das sonnige Grundstück, liegt im neu erschlossenen Baugebiet "Hinter der Kirche" in Kranichborn, einem Ortsteil von Großrudestedt.
Das beschauliche Örtchen Kranichborn ist 5 km von Sömmerda und 16 km von Erfurt entfernt.
Zum Alperstedter Badesee sind es nur 7 Kilometer.
Das Grundstück
Details
Objektbeschreibung
In einem neu erschlossenen Baugebiet in Kranichborn, zwischen Erfurt und Sömmerda, stehen drei voll erschlossene Grundstücke mit jeweils 500?m² Fläche zum Verkauf.
Die Grundstücke eignen sich ideal für den Bau eines Einfamilienhauses. Bei Bedarf besteht die Möglichkeit, zwei nebeneinanderliegende Parzellen zu kombinieren...
Weitere Informationen
Sonstiges
Für weitere Informationen zu unseren Baugebieten in der Nähe von Gotha, Eisenach, Erfurt usw. und unseren verfügbaren Objekten besuchen Sie gerne unsere Website und nehmen Sie Kontakt mit uns auf.
https://www.leander-grundstuecke.de/baugebiete/
Anbieter der Immobilie
Lean.der Grundstücksentwicklungs- und Beteiligungsgesellschaft mbH
Hauptstraße 90 B, 99820 Behringen
Online-ID: 2e74b5h
Referenznummer: 148251950
Finde Angebote wie dieses
Hier geht es zu unserem Impressum, den Allgemeinen Geschäftsbedingungen, den Hinweisen zum Datenschutz und nutzungsbasierter Online-Werbung.