

Immobilien- und Gutachterbüro Matthias Wessmann
Herr Matthias Wessmann TÜV-ausgeb. Sachverständiger Immobilien & Gutachterbüro conzeptbau
059 ···
Nr. anzeigenPreise & Kosten
Provision für Käufer
provisionsfrei
Lage
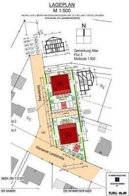
Die beiden Bürgervillen werden auf einem ca. 1.200 m² Eigentumsgrundstück im Osnabrücker Stadtteil Eversburg/Atter Nähe des Landwehrviertels errichtet.
Stadtbushaltestellen, ein Supermarkt, Bäckerei, Restaurant sowie der Rubbenbruchsee sind in wenigen Minuten zu Fuß zu erreichen.
Die Innenstadt von Osnabrück ist ca...
Die Wohnung
Wohnungslage
Erdgeschoss
Bezug
2025/26
Wohnanlage
Energie & Heizung
Warum sehe ich diese Anzeige? – Du siehst diese Anzeige basierend auf Ihrer Navigation auf unserer Website und den Suchkriterien, die du verwendet hast.
Weitere Energiedaten
Haustyp
KfW 40
Heizungsart
Fußbodenheizung, Luft-/Wasser-Wärmepumpe, Zentralheizung
Details
Objektbeschreibung
In Osnabrück Eversburg bieten wir Ihnen diese moderne Neubau Eigentumswohnung im Erdgeschoß mit durchdachten Grundriss zum Erwerb an.
9 von 10 Wohnungen sind bereits verkauft, d.h. 9 Käufer haben sich aufgrund der Lage, Preis und Ausstattung für einen Kauf entschieden.
ES IST NIE ZU FRÜH FÜR EINE GUTE...
Preisinformation
Größe (qm x Miete/m² (€) = mtl. Miete (€) Jahres - KM (€)
75,70 qm x 12,00 € = 908,40 € x 12 = 10.900,80 € p.a.
75,70 qm x 12,50 € = 946,25 € x 12 = 11.355,00 € p.a.
75,70 qm x 13,00 € = 984,10 € x 12 = 11.809,20 € p.a.
Weitere Informationen
noch verfügbare Wohnungen:
Bürgervilla 1
Whg. 1 EG links 2 oder 3 Zimmer, ca. 72 m² VERKAUFT
Whg. 2 EG rechts 2 oder 3 Zimmer, ca. 76 m² VERKAUFT
Whg. 3 OG links 2 oder 3 Zimmer, ca. 73 m² VERKAUFT
Whg. 4 OG rechts 2 oder 3...
Anbieter der Immobilie

Herr Matthias Wessmann TÜV-ausgeb. Sachverständiger Immobilien & Gutachterbüro conzeptbau
Dein Ansprechpartner
059 ···
Nr. anzeigenOnline-ID: 2fs2f5b
Referenznummer: Haus 2 Whg 7 Zi.2
Finde Angebote wie dieses
Hier geht es zu unserem Impressum, den Allgemeinen Geschäftsbedingungen, den Hinweisen zum Datenschutz und nutzungsbasierter Online-Werbung.