

Thomayer Immobilien Inh. Beate Thomayer
Frau Beate Thomayer
064 ···
Nr. anzeigenPreise & Kosten
Provision für Käufer
Käuferprovsion 5,95 % inkl. der gestzlichen MwSt.
Lage
In Weilburg, der Perle an der Lahn, finden Sie alles, was das Leben angenehm macht: gute Einkaufsmöglichkeiten, ein Kino, das imposante Schloss mit Schlossgarten, die Hessenklinik, ein Ärztehaus, sämtliche Schulformen, Kindergärten, ein Schwimmbad – einfach alles, was man zum Leben braucht.
Der City-Bus verkehrt tagsüber...
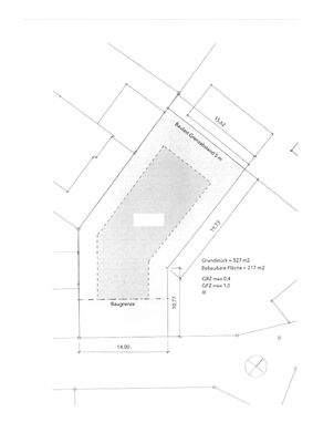
Das Grundstück
Details
Objektbeschreibung
AUFGEPASST: Ein TRAUMGRUNDSTÜCK in Ortsrandlage zum Verlieben!
Dieses wunderschöne, ebenerdige Grundstück in ruhiger Wohnlage von Weilburg ist ein wahrer Traum und umfasst ca. 527 m².
Der Bürgersteig ist bereits fertiggestellt, und die Lage ist unschlagbar: In nur 100 Metern erreichen Sie Wiesen, und in 200 bis...
Weitere Informationen
Sonstiges
Alle gemachten Angaben basieren auf Mitteilungen des Eigentümers. Diese werden durch uns gewissenhaft geprüft. Eine Haftung kann jedoch nicht übernommen werden. Änderungen, Irrtum, Zwischenverkauf bleiben vorbehalten.
Bitte haben Sie Verständnis dafür, dass wir nur Anfragen beantworten können, wenn wir von...
Anbieter der Immobilie
Thomayer Immobilien Inh. Beate Thomayer
Limburger Str. 14, 35781 Weilburg

Online-ID: 2gdwa5x
Finde Angebote wie dieses
Hier geht es zu unserem Impressum, den Allgemeinen Geschäftsbedingungen, den Hinweisen zum Datenschutz und nutzungsbasierter Online-Werbung.