

Immobilien Weber-Moewius
Frau Jessica Stommel
022 ···
Nr. anzeigenPreise & Kosten
Provision für Käufer
Bitte beachte, das Angebot kann bei Vertragsabschluss die Zahlung einer Provision beinhalten. Weitere Informationen erhältst Du vom Anbieter.
Lage
Diese Offerte der Firma Stommel Haus entsteht in ansprechender und naturnaher Lage in Cleeberg, einem Ortsteil der Gemeinde Langgöns im mittelhessischen Landkreis Gießen. Cleeberg hat ca. 1.150 Einwohner und liegt bei einer Höhe von 300 bis 450 m in einem Tal (Kleebachtal), welches den Übergang zwischen der Wetterau und den...
Das Haus
Kategorie
Einfamilienhaus
Bezug
nach Absprache
Energie & Heizung
Warum sehe ich diese Anzeige? – Du siehst diese Anzeige basierend auf Ihrer Navigation auf unserer Website und den Suchkriterien, die du verwendet hast.
Weitere Energiedaten
Heizungsart
Luft-/Wasser-Wärmepumpe, Zentralheizung
Details
Objektbeschreibung
Mit Stommel Haus zu bauen macht Spaß! Das bestätigen auch die Bauherren:innen der im Bergischen Land sitzenden Holzhaus-Manufaktur.
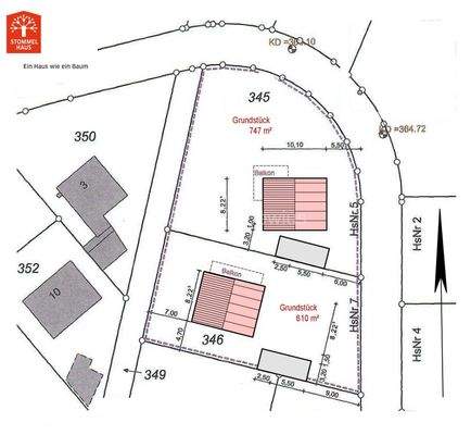
Das hier angebotene Massivholz-Einfamilienhaus (in waagerechter Elementar-Wand ab Oberkante Kellerdecke) wird auf einem 610 m² großen Grundstück in traumhafter und ruhiger Wohnlage...
Ausstattung
Besonders in den Sommermonaten wird das Außenareal zum "Place to be" und erweitert bzw. bereichert den vorhandenen Wohnraum. Hier bieten sich zahlreiche Möglichkeiten, die wertvolle Freizeit an der frischen Luft zu genießen. Sei es beim Lesen eines guten Buches, beim Sonnen, Federball spielen mit den Kindern oder bei...
Preisinformation
2 Carportplätze
Weitere Informationen
Sonstiges
3. Das Wandsystem
- Außenwand
- Eckausbildung mit Massivholz-Eckpfosten
- Übergang zum Fundament
- Innenwände
- Knauf Insulation Holzbau-Dämmplatte
- Untergeschoss außen Putz
4. Die Fassadengestaltung
- Fassadenoberfläche Blockbohle
- Anstrich Sparren- und Pfettenköpfe
5. Die...
Anbieter der Immobilie
Immobilien Weber-Moewius
Zeithstraße 127, 53819 Neunkirchen-Seelscheid

Online-ID: 2gklx5h
Referenznummer: 3158
Finde Angebote wie dieses
Hier geht es zu unserem Impressum, den Allgemeinen Geschäftsbedingungen, den Hinweisen zum Datenschutz und nutzungsbasierter Online-Werbung.