
MAKELBAR | Genossenschaft für Wohnimmobilien eG
Herr Torsten König
030 ···
Nr. anzeigenPreise & Kosten
Provision für Käufer
provisionsfrei
Lage
Waldesruh ist ein idyllischer Ortsteil der Gemeinde Hoppegarten im Landkreis Märkisch-Oderland, Brandenburg. Dieser charmante Ort liegt östlich von Berlin und bietet eine harmonische Mischung aus ländlicher Ruhe und städtischer Nähe.
Es befindet sich am südwestlichen Rand von Hoppegarten, eingebettet in eine malerische...
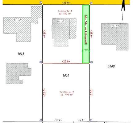
Das Grundstück
Details
Objektbeschreibung
Das hier zum Verkauf angebotene Grundstück befindet sich im beliebten Ortsteil Waldesruh, inmitten einer mit Einfamilienhäusern und hübschen Vorgärten geprägten ruhigen Anliegerstraße.
DAS GRUNDSTÜCK
Mit einer Gesamtgröße von ca. 999 m² können hier ein bis zwei moderne Eigenheime realisiert werden. Das...
Anbieter der Immobilie
MAKELBAR | Genossenschaft für Wohnimmobilien eG
Kieferndamm 19, 15566 Schöneiche
Online-ID: 2gm7759
Finde Angebote wie dieses
Hier geht es zu unserem Impressum, den Allgemeinen Geschäftsbedingungen, den Hinweisen zum Datenschutz und nutzungsbasierter Online-Werbung.