
Finestep Immobilien GmbH
Herr Johannes Hoffmeister
004 ···
Nr. anzeigenPreise & Kosten
Provision für Käufer
3,57% inkl. MwSt inkl. MwSt.
Lage
ERDWEG - IHR ZUHAUSE IM GRÜNEN!
Der wunderschön gelegene Ortsteil Eisenhofen befindet sich im Nordwesten Münchens, zwischen Dachau und Altomünster, und gehört zur Gemeinde Erdweg. Die Gemeinde liegt direkt an der Glonn, in einem ruhigen und schönen Gebiet, durchzogen von Bächen und Wäldern.
Erdweg ist nicht nur...
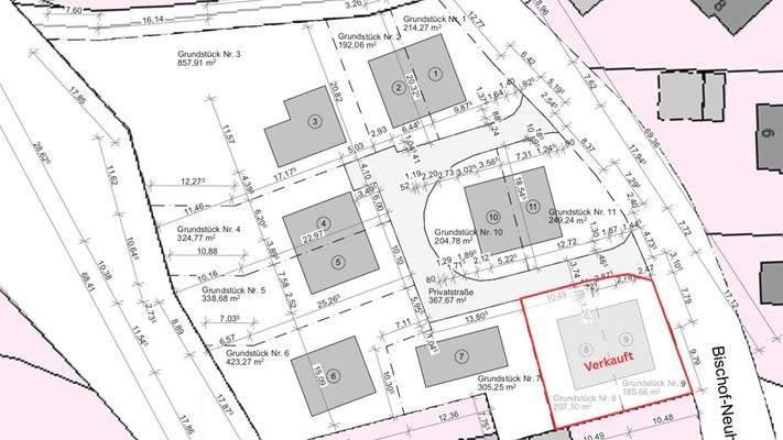
Das Grundstück
Details
Objektbeschreibung
Sofort bebaubar und freie Gestaltungsmöglichkeiten bei einer realen Teilung:
Ca. 3.391 m² Baugrundstück in Erdweg, mit einem S-BAHN S2 Anschluss nur 900 m entfernt.
NUR GESAMTVERKAUF!
B-PLAN "EISENHOFEN NR. 41"
Einsehbar auf der Homepage der Gemeinde Erdweg
Dieser B-Plan wurde eigens für dieses...
Ausstattung
Es gilt der Bebauungsplan "Eisenhofen Nr. 41, Flurstück 1105" vom 15.06.1999, ergänzt am 13.03.2000 und zuletzt geändert vom Gemeinderatsbeschluß vom 05.12.2000, mit der 1. Änderung vom 21.01.2020 sowie einer 2. Änderung vom 22.06.2021, wie folgt:
oWohngebäude
oII Vollgeschosse
oWH traufseitig:
-Typ 1: DN 38° -...
Weitere Informationen
Sonstiges
Wir freuen uns, Ihnen dieses Objekt bei einem Besichtigungstermin ausführlich vorzustellen. Aus rechtlichen Gründen bitten wir Sie, für Ihre erste Kontaktaufnahme mit uns das Kontaktformular des Portals zu nutzen, auf dem Sie diese Immobilie gefunden haben.
Finestep bietet dieses Objekt provisionspflichtig...
Anbieter der Immobilie
Online-ID: 2h5qu5l
Referenznummer: 51113
Finde Angebote wie dieses
Hier geht es zu unserem Impressum, den Allgemeinen Geschäftsbedingungen, den Hinweisen zum Datenschutz und nutzungsbasierter Online-Werbung.