

Denk Immobilien
Herr Manfred J. Denk
086 ···
Nr. anzeigenPreise & Kosten
Provision für Käufer
3,57% (inkl. gesetzl. MwSt.) vom notariell beurkundeten Kaufpreis inkl. MwSt.
Lage
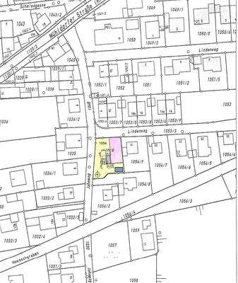
Das bebaute Grundstück liegt sehr zentrumsnah in einem Wohngebiet (WA).
Alle Geschäfte des täglichen Bedarfs sowie Ärzte, Apotheken und Banken sind in wenigen Gehminuten erreichbar.
Ca. 10 Gehminuten bis zum Bahnhof (Bahnlinie Simbach - München).
5 Gehminuten zur nächsten Bushaltestelle
Anschluss zur...
Das Grundstück
Details
Objektbeschreibung
Wir übergeben Ihnen (auf Wunsch) ein unbebautes Grundstück!
Die Abriss- und Entsorgungskosten übernimmt der Verkäufer des Grundstückes.
Das mit einer Werkstatt/Halle bebaute Grundstück liegt in einem allgemeinen Wohngebiet im Innenbereich von Ampfing.
Mögliche Neubebauung nach § 34 BauGB...
Weitere Informationen
Sonstiges
Gerne beantworte ich Ihre Fragen oder vereinbare mit Ihnen einen Besichtigungstermin.
Meine E-Mail-Adresse: manfred.denk@denk-immobilien.com
Manfred J. Denk
(Immobilienfachmakler und Sachverständiger für bebaute und unbebaute Grundstücke)
Weitere Immobilienangebote finden Sie unter...
Anbieter der Immobilie

Online-ID: 2h9765z
Referenznummer: DI 88689
Finde Angebote wie dieses
Hier geht es zu unserem Impressum, den Allgemeinen Geschäftsbedingungen, den Hinweisen zum Datenschutz und nutzungsbasierter Online-Werbung.