

WS Systembau GmbH
Frau Kerstin Dworschak
063 ···
Nr. anzeigenPreise & Kosten
Provision für Käufer
provisionsfrei
Lage
Die Gemeinde Römerberg liegt südlich von Speyer und ist umringt von den Nachbargemeinden Schwegenheim, Lingenfeld, Harthausen und Dudenhofen. Durch den ortseigenen Bahnhof ist Römerberg ideal für Berufspendler mit Verbindungen nach Speyer (5 Minuten), Germersheim (12 Minuten), Bruchsal (45 Minuten), Ludwigshafen (25 Minuten)...
Das Haus
Kategorie
Einfamilienhaus
Geschosse
2 Geschosse
Baujahr
2025
Bezug
2025
Energie & Heizung
Warum sehe ich diese Anzeige? – Du siehst diese Anzeige basierend auf Ihrer Navigation auf unserer Website und den Suchkriterien, die du verwendet hast.
Weitere Energiedaten
Haustyp
Massivhaus
Details
Objektbeschreibung
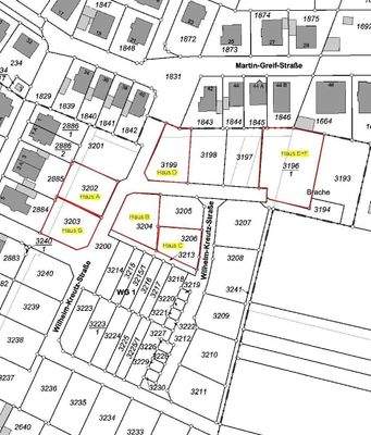
Im Neubaugebiet von Römerberg errichten wir:
- Bauabschnitt A | Flurstück 3202 | 2 Doppelhaushälften (A)
- Bauabschnitt B | Flurstück 3204 | 2 Doppelhaushälften (B)
- Bauabschnitt C | Flurstück 3206 | 1 Einfamilienhaus (C)
- Bauabschnitt D | Flurstück 3199 | 2 Doppelhaushälften (D)
- Bauschnitt E+F |...
Ausstattung
- REAL GETEILTES GRUNDSTÜCK,
- Massivbauweise,
- Erschließung,
- Hausanschlüsse,
- Innentreppe mit massiven Echtholzstufen,
- Fenster in Technik, Vorrat und den Bädern mit Satinato-Verglasung,
- Innenfensterbänke in Gussmarmor,
- Sanitäreinrichtungsgegenstände Renova Plan und Grohe,
- Büro im...
Weitere Informationen
Exposé anfordern
Haben wir Ihr Interesse geweckt? Ihre Ansprechpartnerin im Verkauf: Kerstin Dworschak
Anbieter der Immobilie

WS Systembau GmbH
Rudolf-Diesel-Straße 29a, 67454 Haßloch

Online-ID: 2hbaw54
Referenznummer: 150003/C
Finde Angebote wie dieses
Hier geht es zu unserem Impressum, den Allgemeinen Geschäftsbedingungen, den Hinweisen zum Datenschutz und nutzungsbasierter Online-Werbung.