
Schottleitner GesmbH
004 ···
Nr. anzeigenPreise & Kosten
Provision für Käufer
3% des Kaufpreises zzgl. 20% USt.
Die Industriefläche
Baujahr
2014
Bezug
nach Kaufvertragsunterzeichnung
Energie & Heizung
Warum sehe ich diese Anzeige? – Du siehst diese Anzeige basierend auf Ihrer Navigation auf unserer Website und den Suchkriterien, die du verwendet hast.
Heizwärmebedarf (HWB)
42,70 kWh/(m²·a)
Gesamtenergieeffizienz (fGEE)
0,83
Weitere Energiedaten
Heizungsart
Fußbodenheizung, Luft-/Wasser-Wärmepumpe, Zentralheizung
Details
Objektbeschreibung
Obj. Nr. 2323
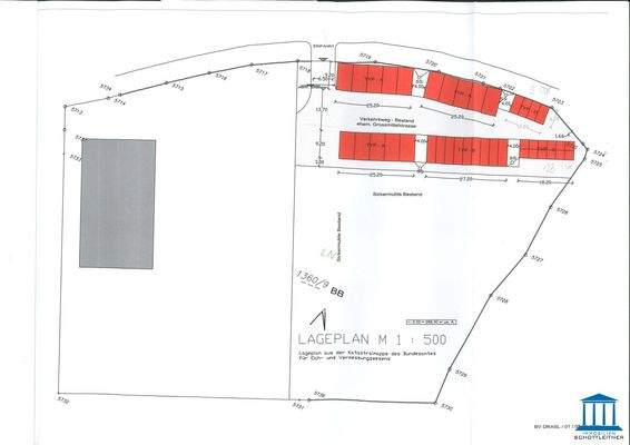
Im Gemeindegebiet Sollenau unweit des Verkehrsknotens zur B17 befindet sich eine großzügige Liegenschaft mit ca. 16.477 m², auf welcher ein modernes Bürohaus samt angeschlossener Lagerhalle errichtet wurde.
An der Nord-Ost Seite des Grundstückes und sohin an der Durchzugsstraße gelegen, befindet...
Preisinformation
40 Garagenstellplätze
Weitere Informationen
Stichworte
Carport vorhanden, Garage vorhanden, Rolladen, Lagerfläche: 982,00 m², Bürofläche: 243,00 m², Bundesland: Niederösterreich
Sonstiges: Kabelkanäle
Anbieter der Immobilie
Online-ID: 2hg3753
Referenznummer: OBGC202411071001244472c4d628d49
Finde Angebote wie dieses
Hier geht es zu unserem Impressum, den Allgemeinen Geschäftsbedingungen, den Hinweisen zum Datenschutz und nutzungsbasierter Online-Werbung.