

3D PROJEKT Immobilien GmbH
Herr Rainer Hobmaier
+49 ···
Nr. anzeigenPreise & Kosten
Provision für Käufer
provisionsfrei
Lage
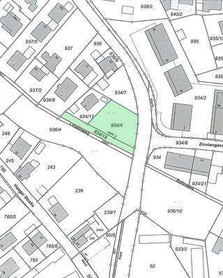
Das Grundstück befindet sich in einer der besten Lagen von Dorfen am Lindenweg 3. Die zentrale Position bietet eine hervorragende Anbindung an den Ortskern und den Bahnhof.
Alle wichtigen Einrichtungen des täglichen Bedarfs, Schulen, Kindergärten, Ärzte und Einkaufsmöglichkeiten sind fußläufig erreichbar.
Durch die...
Das Grundstück
Details
Objektbeschreibung
Lage: 84405 Dorfen, Lindenweg 3
Grundstücksgröße: 1.182 m²
Bebauung: 3 Vollgeschosse + zurückgesetztes Dachgeschoss
Bruttogeschossfläche: ca. 1.850 m²
Verkaufbare Wohnfläche: ca. 1.250 m²
- Attraktive Mikro- & Makrolage: Zentral in Dorfen, nur 10 Minuten zu Fuß zum Bahnhof
- Hervorragende...
Weitere Informationen
Besichtigungstermine
Ich stehe Ihnen für weitere Details, Wirtschaftlichkeitsberechnungen und eine persönliche Beratung gerne zur Verfügung.
Rainer Hobmaier
3D PROJEKT Immobilien GmbH
info@3-d-projekt.de
M: +49 175 576 1782
Anbieter der Immobilie

Online-ID: 2hlc85z
Referenznummer: GS 25_017
Finde Angebote wie dieses
Hier geht es zu unserem Impressum, den Allgemeinen Geschäftsbedingungen, den Hinweisen zum Datenschutz und nutzungsbasierter Online-Werbung.