

Hans Kohnen GmbH Immobilien RDM
Frau Viola A. Mertens, Dipl.-Betr.
021 ···
Nr. anzeigenPreise & Kosten
Provision für Käufer
3.57 % inkl. MwSt.
Lage
Die Lage in Nettetal-Breyell zeichnet sich durch eine ruhige, ländliche Umgebung aus, die dennoch gut an städtische Infrastrukturen angebunden ist. Die Gemeinde bietet eine hohe Lebensqualität, die vor allem für Familien attraktiv ist. Die Einwohnerstruktur ist vielfältig, mit einem Mix aus jungen Familien, Berufstätigen und...
Die Immobilie
Zu diesem Angebot wurden vom Anbieter keine weiteren Daten hinterlegt. Für weitere Informationen bitte den Anbieter kontaktieren.
Nach Informationen fragenDetails
Objektbeschreibung
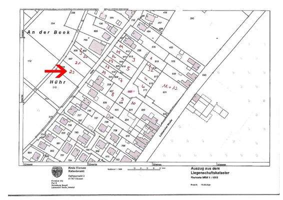
Nr. 21 = Flurstück mit ca. 758 m²
Kaufpreis: 285,00 EUR/m²
Die Entwicklungsgesellschaft GEG (Verkäufer) hat mit der Stadt Nettetal einen städtebaulichen Vertrag, einschließlich Erschließungsvertrag geschlossen. Hiernach wird sich die Entwicklungsgesellschaft verbindlich zur vollständigen Erst-Erschließung des...
Ausstattung
Bebauungsplan:
Das Gebiet liegt im seit dem 05.01.2024 rechtskräftigen Bebauungsplan Br-292 Lobbericher Straße/Hühr. Dieser kann im Rathaus und online eingesehen werden bzw. liegt Ihnen bei uns zur Einsicht offen.
Der Bebauungsplan sagt als wesentliche Information für die zum Verkauf stehenden Grundstücke...
Weitere Informationen
Sonstiges
Alle hier im Angebot genannten Angaben, Daten und Informationen beruhen auf Angaben des Entwicklers bzw. sind aus Objektinformationen entnommen. Für die Richtigkeit dieser Aussagen übernehmen wir keine Haftung. Irrtum, Auslassung sowie Zwischenverkauf bleiben vorbehalten. Wir weisen ausdrücklich darauf hin, dass...
Anbieter der Immobilie

Online-ID: 2j33e52
Referenznummer: 2880c
Finde Angebote wie dieses
Hier geht es zu unserem Impressum, den Allgemeinen Geschäftsbedingungen, den Hinweisen zum Datenschutz und nutzungsbasierter Online-Werbung.