
Marisa Knapp Hausverwaltung
Herr Andre Wingerter
017 ···
Nr. anzeigenPreise & Kosten
Provision für Käufer
Bitte beachte, das Angebot beinhaltet bei Vertragsabschluss die Zahlung einer Provision. Weitere Informationen erhältst Du vom Anbieter.
Abschreibung/Anlage
als Kapitalanlage geeignet
Lage
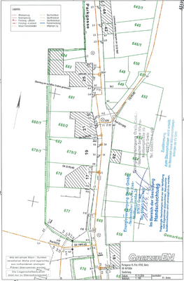
Attraktives Baugrundstück in bester Lage von Greiz – Parkgasse 19
Das 270 m² große Baugrundstück befindet sich in einer der begehrtesten Lagen von Greiz, ruhig gelegen und dennoch zentrumsnah. Eingebettet zwischen dem malerischen Fürstlich Greizer Park und dem historischen Oberen Schloss, vereint dieses Grundstück...
Das Grundstück
Details
Objektbeschreibung
Exklusives Baugrundstück in bester Lage von Greiz:
Wir präsentieren Ihnen ein außergewöhnliches Baugrundstück in der Parkgasse 19, eingebettet zwischen dem malerischen Fürstlich Greizer Park und dem historischen Oberen Schloss. Mit einer Fläche von 270 m² bietet dieses Grundstück eine seltene Gelegenheit, in einer der...
Weitere Informationen
Besichtigungstermine
Besichtigungstermin vereinabren:
- jederzeit -
- Telefonisch: 0172 77 490 55
- per E-Mail: marisa-knapp@t-online.de
Dokumente
Anbieter der Immobilie
Online-ID: 2j3z75b
Finde Angebote wie dieses
Hier geht es zu unserem Impressum, den Allgemeinen Geschäftsbedingungen, den Hinweisen zum Datenschutz und nutzungsbasierter Online-Werbung.