




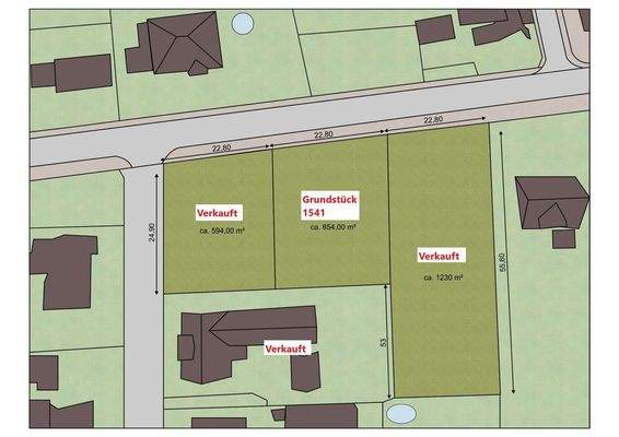
Grundstück zum Kauf69900 €107 €/m²654 m² Grundstück
69900 €
107 €/m²
654 m² Grundstück
Ihr perfektes Baugrundstück in Zscherndorf: 654 m² für Ihr Traumhaus
Merkmale
- Bezug: sofort
- 654 m² Grundstück
Grundrisse
Grundrisse
1 / 4
Realisiere Dein Projekt
Bausubstanz und Energie
Der Anbieter hat keine Informationen zu Energieverbrauch oder Zustand der Immobilie bereit gestellt.
Preisdetails
Kaufpreis
69900 €
106,88 €/m²
Provision für Käufer
Provision in Höhe von 6,90% inkl. gesetzl. MwSt
Geschätzte Gesamtkosten
74.723 €1
Kaufpreis
69.900 €
Kaufnebenkosten
4.823 €
2Provision für Käufer (6,9%)
4.823 €
1Der angezeigte Wert ist eine automatisch berechnete Schätzung von immowelt.
2Bei den Angaben handelt es sich um ortsübliche Werte. Individuelle Kosten können abweichen.
Lage

Lieselotte-Rückert-Straße 2, Zscherndorf, Sandersdorf-Brehna/ Zscherndorf (06792)
Weitere Informationen
Weitere Services
Lust auf eine Besichtigung?
Eine Frage zur Immobilie?
Über den Anbieter
Immobilienvermarktung M.PanterottMaklerbüro
Greppiner Straße 2, 06792 Sandersdorf-Brehna
Partnerschaft

Herr Michael PanterottDein Kontakt
Online-ID: 2jjyy5k
Referenznummer: 2022445MP_8 - 1541-1
Wie zufrieden bist du mit dieser Seite (nicht mit der Immobilie selbst)?




