
Ampere GmbH
Herr Ernst Hindelang jun.
+49 ···
Nr. anzeigenPreise & Kosten
Provision für Käufer
provisionsfrei
Lage
Die Gewerbeimmobilie in der Ohmstraße 13 befindet sich im etablierten Gewerbegebiet von Karlsfeld, einer attraktiven und aufstrebenden Gemeinde im Landkreis Dachau, nur 15 km nordwestlich von München. Die exzellente Lage zeichnet sich durch eine optimale Verkehrsanbindung sowie vielfältige Nahversorgungsmöglichkeiten aus und...
Das Grundstück
Kategorie
Gewerbe-Grundstück
Details
Objektbeschreibung
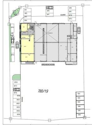
Diese Gewerbeimmobilie, bestehend aus einem Büro- und Werkstattgebäude, wurde im Jahr 1972 erbaut und befindet sich auf einem großzügigen Grundstück mit einer Gesamtfläche von 3.743 m². Die überbaute Fläche beträgt ca. 964,20 m², während die Garagenfläche ca. 94,60 m² und die Freifläche ca. 2.684,20 m² umfasst.
Im...
Ausstattung
Die Immobilie ist mit einer modernen Zentralheizung ausgestattet, die seit 2015 durch Fernwärme aus der Gemeinde Karlsfeld (Holzhackschnitzel) betrieben wird.
Das Verwaltungsgebäude verfügt über elektrische Außenjalousien, die für optimalen Sonnenschutz sorgen. Die vorhandene EDV-Verkabelung ermöglicht eine effiziente...
Preisinformation
6 Stellplätze
Weitere Informationen
Sonstiges
- Das Objekt ist nicht vermietet -
- Die Garagen sind im Kaufpreis inklusive -
Für eine ausführliche Besichtigung der Immobilie laden wir Sie herzlich ein, sich mit uns in Verbindung zu setzen. Wir freuen uns darauf, Ihnen dieses außergewöhnliche Angebot persönlich zu...
Anbieter der Immobilie
Ampere GmbH
Ohmstr. 12, 85757 Karlsfeld
Online-ID: 2jmrn5q
Referenznummer: 430-01
Finde Angebote wie dieses
Hier geht es zu unserem Impressum, den Allgemeinen Geschäftsbedingungen, den Hinweisen zum Datenschutz und nutzungsbasierter Online-Werbung.