


1 / 7



1 / 7
Grundstück zum Kauf269000 €269.000 €321 €/m²838 m² Grundstück
269000 €269.000 €
321 €/m²
838 m² Grundstück
Sonnige Westausrichtung für Ihren zukünftigen Wohntraum
Willkommen in Strasshof an der Nordbahn, wo außergewöhnliche Baugrundstücke auf Sie warten. Die Lage bietet die perfekte Kulisse für Ihre Wohnträume, egal ob Sie eine Familie sind, ein Investor, ein Bauträger oder auf der Suche nach einem Ort sind, um Ihr Traumhaus zu errichten.
Die Grundstücke liegen in einer ruhigen und dennoch zentralen Gegend, nur einen Steinwurf von Schulen, Geschäften und öffentlichen Verkehrsmitteln entfernt.
Genießen Sie die Vorzüge der umliegenden Natur, während Sie dennoch die Annehmlichkeiten des städtischen Lebens in der Nähe haben und nutzen Sie die Gelegenheit, Ihre Wohnträume zu verwirklichen oder in ein vielversprechendes Immobilienprojekt zu investieren.
Die Baugrundstücke zeichnen sich auch durch Ihre wertvolle westseitige Ausrichtung aus. Die Sonne begleitet Sie hier den ganzen Tag, schenkt strahlende Innenräume, spart Energiekosten und schafft einen blühenden Garten- und Outdoor-Bereich. Entdecken Sie die Vorteile dieser sonnigen Ausrichtung und gestalten Sie Ihr Traumhaus im besten Licht!
Es stehen Grundstücke im Ausmaß von 568 m² bis 2.407 m² zur Verfügung.
Die Widmung laut derzeit gültigen Flächenwidmungs-/ und Bebauungsplan lautet; BW (Bauland-Wohngebiet), offene Bebauung, Geschossflächenzahl 0,4, Traufen Höhe 7 Meter (wobei die Gesamtgebäudehöhe inkl. Dach 8,5 Meter nicht überschritten werden darf). Die Vorgartentiefe beträgt 4 Meter.
Die Gemeindeaufschließungskosten/Ergänzungsabgaben sowie Anschluss bzw. Erschließungskosten sind noch zu entrichten.
Baugrundstücke in ruhiger und dennoch zentraler Lage
? Sonnige Westausrichtung
? Grundstücke im Ausmaß von 568 m² bis 2.407 m²
? Widmung: BW, offene Bebauung, Geschoßflächenzahl 0,4, Traufen Höhe 7 m
? Gemeindeaufschließungskosten sowie Anschluss bzw. Erschließungskosten sind noch zu entrichten
Ideal gelegen für Wohnen, Bauen oder Investieren
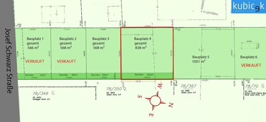
Das attraktive Baugrundstück Nr. 4 erstreckt sich über eine Fläche von ca. 838 m², einschließlich einer bequemen Servitutszufahrt und ist idyllisch in der ruhigen Umgebung der Josef Schwarz Straße gelegen.
Die reine Bauplatzfläche beträgt ca. 29 x 26 m. Die Bebauungsvorschriften erlauben eine Bebauung von bis zu 30% der Gesamtfläche, der hintere Teil des Grundstückes ist als G (gärtnerische Ausgestaltung) deklariert. In diesem Bereich könnte z.B. ein Pool, Terrasse oder ein Nebengebäude mit max. 25 m² errichtet werden aber kein Hauptgebäude. Somit besteht die Möglichkeit zur Errichtung eines Gebäudes mit einer weitläufigen Fläche von 251 m² pro Etage.
Noch nichts gefunden? Wir informieren Sie unverbindlich über geeignete Immobilienangebote noch vor allen anderen.
Legen Sie jetzt Ihren individuellen Suchagenten unter folgendem Link an. Wir schicken Ihnen passende Immobilien exklusiv vorab zu.
Suchagent anlegen [https://www.immo-kubicek.at/kostenlose-vormerkung/] - https://immo-kubicek.service.immo/registrieren/de
Wir weisen darauf hin, dass zwischen dem Vermittler und dem zu vermittelnden Dritten ein familiäres oder wirtschaftliches Naheverhältnis besteht.
Der Vermittler ist als Doppelmakler tätig.
-------------------------
Ihre Immobilie - unsere Kunden: Perfekte Vermittlung seit über 90 Jahren.
Wir bringen seit mehr als 90 Jahren erfolgreich Immobilienbesitzer und Käufer/Mieter zusammen. Ob Haus, Grundstück oder Wohnung - für unsere 1.300 vorgemerkten Kunden suchen wir derzeit Immobilien in Wien und Niederösterreich.
Als stolzer Träger des IMMY-Qualitätspreises stehen wir für höchste Servicequalität und freuen uns darauf, Sie persönlich zu beraten.
Kontaktieren Sie uns noch heute!
immo-kubicek.at [https://www.immo-kubicek.at]| +43 1 2031168-0 [tel:+43120311680]
Infrastruktur / Entfernungen
Gesundheit
Arzt <1.500m
Apotheke <2.500m
Klinik <6.000m
Kinder & Schulen
Kindergarten <500m
Schule <1.000m
Nahversorgung
Supermarkt <500m
Bäckerei <2.500m
Sonstige
Bank <2.000m
Geldautomat <2.000m
Post <2.500m
Polizei <5.500m
Verkehr
Bus <500m
Bahnhof <1.000m
Angaben Entfernung Luftlinie / Quelle: OpenStreetMap
Die Grundstücke liegen in einer ruhigen und dennoch zentralen Gegend, nur einen Steinwurf von Schulen, Geschäften und öffentlichen Verkehrsmitteln entfernt.
Genießen Sie die Vorzüge der umliegenden Natur, während Sie dennoch die Annehmlichkeiten des städtischen Lebens in der Nähe haben und nutzen Sie die Gelegenheit, Ihre Wohnträume zu verwirklichen oder in ein vielversprechendes Immobilienprojekt zu investieren.
Die Baugrundstücke zeichnen sich auch durch Ihre wertvolle westseitige Ausrichtung aus. Die Sonne begleitet Sie hier den ganzen Tag, schenkt strahlende Innenräume, spart Energiekosten und schafft einen blühenden Garten- und Outdoor-Bereich. Entdecken Sie die Vorteile dieser sonnigen Ausrichtung und gestalten Sie Ihr Traumhaus im besten Licht!
Es stehen Grundstücke im Ausmaß von 568 m² bis 2.407 m² zur Verfügung.
Die Widmung laut derzeit gültigen Flächenwidmungs-/ und Bebauungsplan lautet; BW (Bauland-Wohngebiet), offene Bebauung, Geschossflächenzahl 0,4, Traufen Höhe 7 Meter (wobei die Gesamtgebäudehöhe inkl. Dach 8,5 Meter nicht überschritten werden darf). Die Vorgartentiefe beträgt 4 Meter.
Die Gemeindeaufschließungskosten/Ergänzungsabgaben sowie Anschluss bzw. Erschließungskosten sind noch zu entrichten.
Baugrundstücke in ruhiger und dennoch zentraler Lage
? Sonnige Westausrichtung
? Grundstücke im Ausmaß von 568 m² bis 2.407 m²
? Widmung: BW, offene Bebauung, Geschoßflächenzahl 0,4, Traufen Höhe 7 m
? Gemeindeaufschließungskosten sowie Anschluss bzw. Erschließungskosten sind noch zu entrichten
Ideal gelegen für Wohnen, Bauen oder Investieren
Das attraktive Baugrundstück Nr. 4 erstreckt sich über eine Fläche von ca. 838 m², einschließlich einer bequemen Servitutszufahrt und ist idyllisch in der ruhigen Umgebung der Josef Schwarz Straße gelegen.
Die reine Bauplatzfläche beträgt ca. 29 x 26 m. Die Bebauungsvorschriften erlauben eine Bebauung von bis zu 30% der Gesamtfläche, der hintere Teil des Grundstückes ist als G (gärtnerische Ausgestaltung) deklariert. In diesem Bereich könnte z.B. ein Pool, Terrasse oder ein Nebengebäude mit max. 25 m² errichtet werden aber kein Hauptgebäude. Somit besteht die Möglichkeit zur Errichtung eines Gebäudes mit einer weitläufigen Fläche von 251 m² pro Etage.
Noch nichts gefunden? Wir informieren Sie unverbindlich über geeignete Immobilienangebote noch vor allen anderen.
Legen Sie jetzt Ihren individuellen Suchagenten unter folgendem Link an. Wir schicken Ihnen passende Immobilien exklusiv vorab zu.
Suchagent anlegen [https://www.immo-kubicek.at/kostenlose-vormerkung/] - https://immo-kubicek.service.immo/registrieren/de
Wir weisen darauf hin, dass zwischen dem Vermittler und dem zu vermittelnden Dritten ein familiäres oder wirtschaftliches Naheverhältnis besteht.
Der Vermittler ist als Doppelmakler tätig.
-------------------------
Ihre Immobilie - unsere Kunden: Perfekte Vermittlung seit über 90 Jahren.
Wir bringen seit mehr als 90 Jahren erfolgreich Immobilienbesitzer und Käufer/Mieter zusammen. Ob Haus, Grundstück oder Wohnung - für unsere 1.300 vorgemerkten Kunden suchen wir derzeit Immobilien in Wien und Niederösterreich.
Als stolzer Träger des IMMY-Qualitätspreises stehen wir für höchste Servicequalität und freuen uns darauf, Sie persönlich zu beraten.
Kontaktieren Sie uns noch heute!
immo-kubicek.at [https://www.immo-kubicek.at]| +43 1 2031168-0 [tel:+43120311680]
Infrastruktur / Entfernungen
Gesundheit
Arzt <1.500m
Apotheke <2.500m
Klinik <6.000m
Kinder & Schulen
Kindergarten <500m
Schule <1.000m
Nahversorgung
Supermarkt <500m
Bäckerei <2.500m
Sonstige
Bank <2.000m
Geldautomat <2.000m
Post <2.500m
Polizei <5.500m
Verkehr
Bus <500m
Bahnhof <1.000m
Angaben Entfernung Luftlinie / Quelle: OpenStreetMap
Merkmale
- 838 m² Grundstück
Grundrisse
Grundrisse
1 / 1
Bausubstanz und Energie
Möchtest du Details zum Energieverbrauch?

Preisdetails
Kaufpreis
269000 €269.000 €
321 €/m²
Provision für Käufer
3% des Kaufpreises zzgl. 20% USt.
Lage

Strasshof an der Nordbahn (2231)
Die neu entstehenden Bauplätze befinden sich in Strasshof an der Nordbahn etwa 10 km von der Wiener Stadtgrenze entfernt. Strasshof liegt am nördlichen Rande des Marchfeldes an der B8, ist ein Ort mit überwiegendem Siedlungscharakter und regem Wirtschaftsleben. Bei Wien Süßenbrunn hat man Anschluss ans Autobahnnetz (S1/S2). Mit der S-Bahn Station-Silberwald rund 2 km entfernt, sowie S-Bahn Station-Strasshof rund 2,5 km entfernt erreichen Sie Wien- Leopoldau (Anschluss U1) in nur 15 Fahrminuten. Zustiegsmöglichkeiten in Wien u.a. am Hauptbahnhof, Landstraße/Wien Mitte, Praterstern, Floridsdorf und Leopoldau, weiters in Deutsch-Wagram. Die Züge enden in Gänserndorf, Marchegg, Breclav oder Bernhardsthal.
In unmittelbarer Nähe befindet sich ein Billa-Plus, das Cafe Pub Silberwald, eine Trafik, sowie ein Lagerhaus Bau- & Gartenmarkt. Weitere Geschäfte des täglichen Bedarfs wie z.B. BIPA, Hofer, Penny Markt, TEDi und Friseur sind allesamt in rund 15 Minuten zu Fuß erreichbar, sowie das Fitnesscenter Clever Fit.
Zudem sind Tankstellen, Banken, Apotheke, Ärzte, Post und Restaurants gut mit dem Auto erreichbar. Nur ca. 15 Gehminuten entfernt befindet sich die Volksschule-, Volkshochschule- und Europa-Mittel-Schule Strasshof. Nur eine Gasse weiter steht Ihnen ein Kindergarten zur Verfügung.
Unweit der Stadt Wien bietet Strasshof mit BMX-Radwanderweg, Rodelberg und Beachvolleyballplatz das ganze Jahr über tolle Freizeitmöglichkeiten. Das Heimatmuseum, das bekannte Eisenbahnmuseum "Das Heizhaus" sowie die Dauerausstellung "Unser Strasshof - Gestern Heute Morgen" im Kulturzentrum Marchfeld Strasshof laden laufend zum Staunen und Entdecken ein.
In unmittelbarer Nähe befindet sich ein Billa-Plus, das Cafe Pub Silberwald, eine Trafik, sowie ein Lagerhaus Bau- & Gartenmarkt. Weitere Geschäfte des täglichen Bedarfs wie z.B. BIPA, Hofer, Penny Markt, TEDi und Friseur sind allesamt in rund 15 Minuten zu Fuß erreichbar, sowie das Fitnesscenter Clever Fit.
Zudem sind Tankstellen, Banken, Apotheke, Ärzte, Post und Restaurants gut mit dem Auto erreichbar. Nur ca. 15 Gehminuten entfernt befindet sich die Volksschule-, Volkshochschule- und Europa-Mittel-Schule Strasshof. Nur eine Gasse weiter steht Ihnen ein Kindergarten zur Verfügung.
Unweit der Stadt Wien bietet Strasshof mit BMX-Radwanderweg, Rodelberg und Beachvolleyballplatz das ganze Jahr über tolle Freizeitmöglichkeiten. Das Heimatmuseum, das bekannte Eisenbahnmuseum "Das Heizhaus" sowie die Dauerausstellung "Unser Strasshof - Gestern Heute Morgen" im Kulturzentrum Marchfeld Strasshof laden laufend zum Staunen und Entdecken ein.
Weitere Informationen
Stichworte
Freifläche: 738,00 m², Bundesland: Niederösterreich
Weitere Services
Lust auf eine Besichtigung?
Eine Frage zur Immobilie?
Über den Anbieter
Donaufelderstraße 261, 1220 WIEN
Partnerschaft
Herr Thomas KubicekDein Kontakt
Online-ID: 23MDQTMYB6RK
Referenznummer: OBGC202308141112525483f5c4424db
Wie zufrieden bist du mit dieser Seite (nicht mit der Immobilie selbst)?
