
Wohnungsmarkt Erzgebirge
Herr Miguel-Angelo Michael
+49 ···
Nr. anzeigenPreise & Kosten
Provision für Käufer
3.570,00 € inkl. MwSt. inkl. MwSt.
Die Maklercourtage beträgt 3.570,00€ inkl. MwSt. vom Kaufpreis. Sie ist fällig und verdient mit der Unterzeichnung vom Kaufvertrag.
Lage
Oberwiesenthal ist Deutschlands höchstgelegene Stadt und ganzjährig ein beliebtes Reiseziel - im Winter als Wintersportort mit Skipisten, Loipen und Seilbahnen, im Sommer als Ausgangspunkt für Wanderungen, Mountainbike-Touren und Naturerlebnisse. Die Nähe zu Bozí Dar auf tschechischer Seite eröffnet zusätzliche Möglichkeiten...
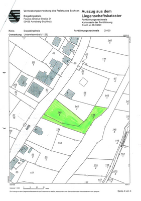
Das Grundstück
Details
Objektbeschreibung
Zum Verkauf steht ein attraktives Baugrundstück im staatlich anerkannten Kurort Oberwiesenthal im Erzgebirgskreis, unmittelbar an der Grenze zu Tschechien.
Gas, Strom und Wasser liegen direkt am Grundstück an, Abwasser kann entweder über eine eigene vollbiologische Kläranlage erfolgen oder man schließt an das...
Weitere Informationen
Sonstiges
Dieses Grundstück wird von uns im Rahmen eines Makleralleinauftrages angeboten. Weitere Auskünfte zum Objekt erhalten Sie auf Anfrage. Besichtigungstermine sind ausschließlich mit uns zu vereinbaren und in unserer Anwesenheit durchzuführen. Auf ausdrücklichen Wunsch des Eigentümers bitten wir von selbstständiger...
Anbieter der Immobilie

Wohnungsmarkt Erzgebirge
Robert - Blum - Str. 23, 09456 Annaberg - B.
Online-ID: 2jz5g5m
Referenznummer: 158409328#OkrsQc
Finde Angebote wie dieses
Hier geht es zu unserem Impressum, den Allgemeinen Geschäftsbedingungen, den Hinweisen zum Datenschutz und nutzungsbasierter Online-Werbung.