


1 / 13



1 / 13
Grundstück zum Kauf199000 €199.000 €396 €/m²502 m² Grundstück
199000 €199.000 €
396 €/m²
502 m² Grundstück
Exklusiver Bauplatz 2 - 502 m² - in NEUNKIRCHEN - Entwicklungsobjekt in Bestlage
Drohnenflug:
Tauchen Sie ein in die Atmosphäre dieser Immobilie - unser Drohnenflug zeigt Ihnen eindrucksvoll die Umgebungund das Objekt aus der Luft:
YouTube FRE: VIDEO ANSEHEN [https://youtu.be/MNd3sb3t4Vc?si=LH1OaOHqsBUXDQDm]
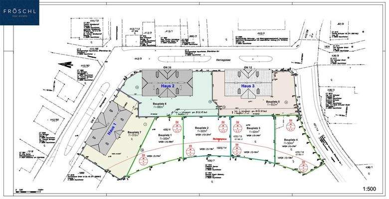
Dieser hochwertige Bauplatz im Herzen von Neunkirchen bietet eine seltene Gelegenheit für anspruchsvolle Bauherren und Investoren mit Weitblick.
Das ca. 502 m² große Baugrundstück befindet sich in einer ruhigen, dennoch zentralen Lage und ist Teil einer durchdachten Baulandentwicklung. Der Bauplatz verfügt über eine eigene Einlagezahl und ist aufschließungsbereit.
Optimale Rahmenbedingungen für Ihr Bauprojekt
Dieser strategisch positionierte Bauplatz bietet maximale Privatsphäre und optimales Entwicklungspotenzial für Ihr individuelles Wohnprojekt.
Baulandwidmung mit optimalen Rahmenbedingungen
Das Grundstück verfügt über eine offene Bauweise mit Bauklasse II & III sowie einer Bebauungsdichte von 30 % - ideale Voraussetzungen für moderne, nachhaltige Wohnprojekte nach individuellen Vorstellungen.
Lage und Infrastruktur
* Zentrale Lage in Neunkirchen
* Aufschließung erforderlich (Strom, Wasser, Kanal)
* Ruhige Wohnlage mit ausgezeichneter Infrastruktur
* Eigene Einlagezahl für unabhängige Entwicklung
Erwerbsmöglichkeiten
* Einzelerwerb Bauplatz 1 möglich
* Alle 4 Bauplätze verfügbar für Gesamtprojekt
* Ideal für Entwicklungsprojekte und Anleger
Für Bauherren und Investoren mit Anspruch
Dieser Bauplatz bietet die perfekte Grundlage für Ihr individuelles Wohnprojekt in einer der gefragtesten Lagen im südlichen Niederösterreich. Verwirklichen Sie Ihre Wohnträume auf diesem hochwertigen Baugrundstück.
Für größere Projekte: Alle vier Bauplätze können auch gemeinsam erworben werden - ideal für Bauträger und Anleger, die ein zusammenhängendes Entwicklungsprojekt realisieren möchten.
SERVICES & BEGLEITUNG WÄHREND DER ENTWICKLUNG
Auf Wunsch begleiten wir Sie umfassend durch den Entwicklungsprozess - von der Machbarkeitsstudie über die Einreichplanung bis hin zur Entwicklung individueller Nutzungskonzepte für Bestand und Neubau.
Ein Ort mit Geschichte, bereit für neue Ideen. Ideal für Projektentwickler, die urbanen Lebensraum mit Charakter und Perspektive schaffen möchten.
Nutzen Sie die einmalige Gelegenheit, dieses außergewöhnliche Entwicklungsprojekt in Neunkirchen zu übernehmen.
Vereinbaren Sie noch heute einen Besichtigungstermin und lassen Sie sich von dieser beeindruckenden Immobilie überzeugen! Wir freuen uns darauf, Sie persönlich zu begrüßen. Bei weiteren Fragen stehen wir Ihnen jederzeit unter +43 664 1838 268 [tel:+436641838268] zur Verfügung oder senden Sie uns eine E-Mail an christian@froeschl.estate.
Besuchen Sie www.froeschl.estate und entdecken Sie unsere neuesten Objekte sowie beeindruckende 360º virtuelle Rundgänge! Wir freuen uns darauf, gemeinsam mit Ihnen geführte virtuelle Besichtigungen zu unternehmen.
Unsere Angaben basieren auf den Informationen des Eigentümers; Änderungen und Irrtümer sind vorbehalten.
Sie möchten den Wert einer Immobilie wissen? Bewertungen professionell und präzise.
FRÖSCHL real estate ermittelt den Verkehrswert Ihrer Liegenschaft. Das schriftliche Bewertungsgutachten ist ein umfangreiches Dokument, aus dem dieser hervorgeht. Wir ermitteln abhängig von Ihrem Objekt über den Vergleichswert, den Sachwert oder den Ertragswert, unter Beachtung aller relevanten Unterlagen, den aktuellen Marktwert ihrer Immobilie. Gerne übernehmen wir Bewertungen auch aus anderen Anlässen wie innerfamiliären Angelegenheiten, Erbschaften oder steuerlichen Anforderungen und dergleichen.
Wir weisen darauf hin, dass zwischen dem Vermittler und dem zu vermittelnden Dritten ein familiäres oder wirtschaftliches Naheverhältnis besteht.
Der Vermittler ist als Doppelmakler tätig.
Infrastruktur / Entfernungen
Gesundheit
Arzt <500m
Apotheke <1.000m
Krankenhaus <1.000m
Kinder & Schulen
Schule <500m
Kindergarten <1.500m
Nahversorgung
Supermarkt <500m
Bäckerei <1.000m
Einkaufszentrum <1.000m
Sonstige
Bank <1.000m
Geldautomat <1.000m
Polizei <1.000m
Post <1.000m
Verkehr
Bus <500m
Autobahnanschluss <2.000m
Bahnhof <1.500m
Angaben Entfernung Luftlinie / Quelle: OpenStreetMap
Tauchen Sie ein in die Atmosphäre dieser Immobilie - unser Drohnenflug zeigt Ihnen eindrucksvoll die Umgebungund das Objekt aus der Luft:
YouTube FRE: VIDEO ANSEHEN [https://youtu.be/MNd3sb3t4Vc?si=LH1OaOHqsBUXDQDm]
Dieser hochwertige Bauplatz im Herzen von Neunkirchen bietet eine seltene Gelegenheit für anspruchsvolle Bauherren und Investoren mit Weitblick.
Das ca. 502 m² große Baugrundstück befindet sich in einer ruhigen, dennoch zentralen Lage und ist Teil einer durchdachten Baulandentwicklung. Der Bauplatz verfügt über eine eigene Einlagezahl und ist aufschließungsbereit.
Optimale Rahmenbedingungen für Ihr Bauprojekt
Dieser strategisch positionierte Bauplatz bietet maximale Privatsphäre und optimales Entwicklungspotenzial für Ihr individuelles Wohnprojekt.
Baulandwidmung mit optimalen Rahmenbedingungen
Das Grundstück verfügt über eine offene Bauweise mit Bauklasse II & III sowie einer Bebauungsdichte von 30 % - ideale Voraussetzungen für moderne, nachhaltige Wohnprojekte nach individuellen Vorstellungen.
Lage und Infrastruktur
* Zentrale Lage in Neunkirchen
* Aufschließung erforderlich (Strom, Wasser, Kanal)
* Ruhige Wohnlage mit ausgezeichneter Infrastruktur
* Eigene Einlagezahl für unabhängige Entwicklung
Erwerbsmöglichkeiten
* Einzelerwerb Bauplatz 1 möglich
* Alle 4 Bauplätze verfügbar für Gesamtprojekt
* Ideal für Entwicklungsprojekte und Anleger
Für Bauherren und Investoren mit Anspruch
Dieser Bauplatz bietet die perfekte Grundlage für Ihr individuelles Wohnprojekt in einer der gefragtesten Lagen im südlichen Niederösterreich. Verwirklichen Sie Ihre Wohnträume auf diesem hochwertigen Baugrundstück.
Für größere Projekte: Alle vier Bauplätze können auch gemeinsam erworben werden - ideal für Bauträger und Anleger, die ein zusammenhängendes Entwicklungsprojekt realisieren möchten.
SERVICES & BEGLEITUNG WÄHREND DER ENTWICKLUNG
Auf Wunsch begleiten wir Sie umfassend durch den Entwicklungsprozess - von der Machbarkeitsstudie über die Einreichplanung bis hin zur Entwicklung individueller Nutzungskonzepte für Bestand und Neubau.
Ein Ort mit Geschichte, bereit für neue Ideen. Ideal für Projektentwickler, die urbanen Lebensraum mit Charakter und Perspektive schaffen möchten.
Nutzen Sie die einmalige Gelegenheit, dieses außergewöhnliche Entwicklungsprojekt in Neunkirchen zu übernehmen.
Vereinbaren Sie noch heute einen Besichtigungstermin und lassen Sie sich von dieser beeindruckenden Immobilie überzeugen! Wir freuen uns darauf, Sie persönlich zu begrüßen. Bei weiteren Fragen stehen wir Ihnen jederzeit unter +43 664 1838 268 [tel:+436641838268] zur Verfügung oder senden Sie uns eine E-Mail an christian@froeschl.estate.
Besuchen Sie www.froeschl.estate und entdecken Sie unsere neuesten Objekte sowie beeindruckende 360º virtuelle Rundgänge! Wir freuen uns darauf, gemeinsam mit Ihnen geführte virtuelle Besichtigungen zu unternehmen.
Unsere Angaben basieren auf den Informationen des Eigentümers; Änderungen und Irrtümer sind vorbehalten.
Sie möchten den Wert einer Immobilie wissen? Bewertungen professionell und präzise.
FRÖSCHL real estate ermittelt den Verkehrswert Ihrer Liegenschaft. Das schriftliche Bewertungsgutachten ist ein umfangreiches Dokument, aus dem dieser hervorgeht. Wir ermitteln abhängig von Ihrem Objekt über den Vergleichswert, den Sachwert oder den Ertragswert, unter Beachtung aller relevanten Unterlagen, den aktuellen Marktwert ihrer Immobilie. Gerne übernehmen wir Bewertungen auch aus anderen Anlässen wie innerfamiliären Angelegenheiten, Erbschaften oder steuerlichen Anforderungen und dergleichen.
Wir weisen darauf hin, dass zwischen dem Vermittler und dem zu vermittelnden Dritten ein familiäres oder wirtschaftliches Naheverhältnis besteht.
Der Vermittler ist als Doppelmakler tätig.
Infrastruktur / Entfernungen
Gesundheit
Arzt <500m
Apotheke <1.000m
Krankenhaus <1.000m
Kinder & Schulen
Schule <500m
Kindergarten <1.500m
Nahversorgung
Supermarkt <500m
Bäckerei <1.000m
Einkaufszentrum <1.000m
Sonstige
Bank <1.000m
Geldautomat <1.000m
Polizei <1.000m
Post <1.000m
Verkehr
Bus <500m
Autobahnanschluss <2.000m
Bahnhof <1.500m
Angaben Entfernung Luftlinie / Quelle: OpenStreetMap
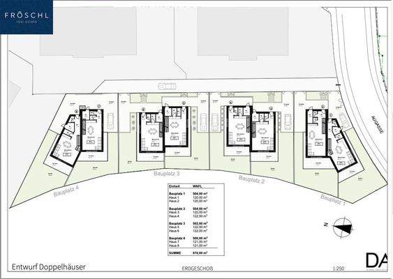
Merkmale
- Bezug: Nach Vereinbarung
- 502 m² Grundstück
- unerschlossen
Grundrisse
Grundrisse
1 / 7
Virtueller Rundgang
Video

Bausubstanz und Energie
Möchtest du Details zum Energieverbrauch?

Preisdetails
Kaufpreis
199000 €199.000 €
396,41 €/m²
Provision für Käufer
3% des Kaufpreises zzgl. 20% USt.
Lage

Neunkirchen (2620)
Willkommen in einer Wohngegend, die urbanes Leben mit hoher Lebensqualität perfekt vereint. Die Liegenschaft Werksgasse 8, 10 und 12 in Neunkirchen bietet den idealen Rahmen für modernes Wohnen in einer Stadt mit Zukunft.
Alles, was das tägliche Leben angenehm macht, ist nur wenige Schritte entfernt:
Geschäfte für den täglichen Bedarf, Cafés, Banken und Dienstleistungen sind innerhalb von rund 7 Gehminuten erreichbar. Für die Gesundheit ist bestens gesorgt - das Landesklinikum Neunkirchen liegt nur 5 Gehminuten entfernt und bietet Sicherheit und Komfort direkt vor der Haustür.
Verbindungen, die Menschen zusammenbringen:
Der Bahnhof Neunkirchen mit direkter Zugverbindung nach Wien ist in ca. 13 Minuten zu Fuß erreichbar. Ob Pendler oder Stadtliebhaber - hier verbinden sich Mobilität und Lebensqualität auf angenehme Weise.
Zentrum des Lebens:
Nur 10 Gehminuten trennen die Liegenschaft vom Hauptplatz, dem lebendigen Herzen der Stadt. Hier trifft man sich zum Flanieren, Einkaufen oder Genießen in einer charmanten Kleinstadtatmosphäre.
Eine Stadt mit Perspektive:
Neunkirchen verbindet Tradition und Wachstum auf ideale Weise. Als Bezirkshauptstadt und wichtiger Wirtschaftsstandort bietet die Stadt:
. Eine stetig wachsende Bevölkerung und hohe Nachfrage nach qualitätsvollem Wohnraum,
. Eine lebendige Bildungslandschaft und zahlreiche Arbeitsplätze im Gesundheits-, Bildungs- und Dienstleistungssektor,
. Eine hervorragende Erreichbarkeit über die S6 Semmering Schnellstraße - Wien ist in kurzer Zeit erreichbar,
. Laufende Investitionen in die Stadtentwicklung und Infrastruktur, die Neunkirchen zu einem der begehrtesten Wohnstandorte im südlichen Niederösterreich machen.
Diese Wohnhausanlage bietet nicht nur eine ausgezeichnete Lage, sondern auch eine wunderbare Gelegenheit, Wohnträume zu verwirklichen - mitten in einer Stadt, die Lebensqualität großschreibt.
Weitere Details finden Sie im informativen Lage-Exposé, das Ihnen im Anhang als Download zur Verfügung steht.
Alles, was das tägliche Leben angenehm macht, ist nur wenige Schritte entfernt:
Geschäfte für den täglichen Bedarf, Cafés, Banken und Dienstleistungen sind innerhalb von rund 7 Gehminuten erreichbar. Für die Gesundheit ist bestens gesorgt - das Landesklinikum Neunkirchen liegt nur 5 Gehminuten entfernt und bietet Sicherheit und Komfort direkt vor der Haustür.
Verbindungen, die Menschen zusammenbringen:
Der Bahnhof Neunkirchen mit direkter Zugverbindung nach Wien ist in ca. 13 Minuten zu Fuß erreichbar. Ob Pendler oder Stadtliebhaber - hier verbinden sich Mobilität und Lebensqualität auf angenehme Weise.
Zentrum des Lebens:
Nur 10 Gehminuten trennen die Liegenschaft vom Hauptplatz, dem lebendigen Herzen der Stadt. Hier trifft man sich zum Flanieren, Einkaufen oder Genießen in einer charmanten Kleinstadtatmosphäre.
Eine Stadt mit Perspektive:
Neunkirchen verbindet Tradition und Wachstum auf ideale Weise. Als Bezirkshauptstadt und wichtiger Wirtschaftsstandort bietet die Stadt:
. Eine stetig wachsende Bevölkerung und hohe Nachfrage nach qualitätsvollem Wohnraum,
. Eine lebendige Bildungslandschaft und zahlreiche Arbeitsplätze im Gesundheits-, Bildungs- und Dienstleistungssektor,
. Eine hervorragende Erreichbarkeit über die S6 Semmering Schnellstraße - Wien ist in kurzer Zeit erreichbar,
. Laufende Investitionen in die Stadtentwicklung und Infrastruktur, die Neunkirchen zu einem der begehrtesten Wohnstandorte im südlichen Niederösterreich machen.
Diese Wohnhausanlage bietet nicht nur eine ausgezeichnete Lage, sondern auch eine wunderbare Gelegenheit, Wohnträume zu verwirklichen - mitten in einer Stadt, die Lebensqualität großschreibt.
Weitere Details finden Sie im informativen Lage-Exposé, das Ihnen im Anhang als Download zur Verfügung steht.
Weitere Informationen
Stichworte
Bundesland: Niederösterreich
Weitere Services
Lust auf eine Besichtigung?
Eine Frage zur Immobilie?
Über den Anbieter
Kesselbodengasse 39, 3910 ZWETTL
Christian FröschlDein Kontakt
Online-ID: 25JY7U9K58I9
Referenznummer: OBGC202507031400183313861aff8fa
Wie zufrieden bist du mit dieser Seite (nicht mit der Immobilie selbst)?
