
Immobilien Gerstmeier / Ulferts Immobilien, Inhaber Lennart Gerstmeier
Frau Karina Feist
+49 ···
Nr. anzeigenPreise & Kosten
Provision für Käufer
2.082,50 € inkl. 19% MwSt.
Lage
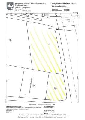
Die angebotenen landwirtschaftlichen Flächen befinden sich in der Samtgemeinde Hesel, Ortsteil Neuefehn in der Kniepwieke/Am Randkanal
Land-/Forstwirtschaft
Bezug
nach Vereinbarung
Details
Objektbeschreibung
Wir bieten Ihnen landwirtschaftliche Flächen zur Größe von 11.527 m² in der Samtgemeinde Hesel, Ortsteil Neuefehn an. Bei den Flächen handelt es sich um pachtfreies Grünland, das an einer befestigten Straße in unmittelbarer Nähe zum Randkanal gelegen ist.
Weitere Informationen
Sonstiges
Gemarkung Neuefehn, Flur 5, Flurstücke 117/1 und 118/1
Online-ID: 2k94z5f
Referenznummer: 128224164#5vz1N
Finde Angebote wie dieses
Hier geht es zu unserem Impressum, den Allgemeinen Geschäftsbedingungen, den Hinweisen zum Datenschutz und nutzungsbasierter Online-Werbung.