
Layer Immobilien & Bau
Herr Ekkehard Kramer
004 ···
Nr. anzeigenPreise & Kosten
Provision für Käufer
2,99 % inkl. ges. MwSt. inkl. MwSt.
Lage
Das Gewerbegebiet "Unterfeld" in Türkheim liegt strategisch günstig direkt südlich der A96 (München-Lindau) und ist unmittelbar an die Anschlussstelle angebunden. Diese hervorragende Verkehrsanbindung ermöglicht eine schnelle Erreichbarkeit sowohl in Richtung München als auch in Richtung Memmingen und Lindau.
Durch die...
Büro-/Praxisfläche
Kategorie
Bürofläche
Baujahr
2020
Bezug
sofort
Energie & Heizung
Warum sehe ich diese Anzeige? – Du siehst diese Anzeige basierend auf Ihrer Navigation auf unserer Website und den Suchkriterien, die du verwendet hast.
Weitere Energiedaten
Energieträger
Gas
Details
Objektbeschreibung
Bürokomplex mit Freifläche für Industriehallen! Achtung Westhälfte reserviert.
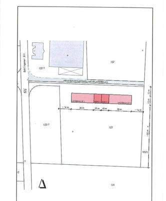
Das ca. 4.000 m² große Grundstück befindet sich im Gewerbegebiet Unterfeld der Gemeinde Türkheim und bietet eine attraktive Lage.
Bereits vorhanden sind zwei baugleiche Bürogebäude im Rohbau, die jeweils um eine Lagerhalle mit ca...
Ausstattung
.Grundstück mit ca. 4.000 m²
.Rohbau Gewerbeeinheit (2) für Büros und Wohnungen
.Gasanschluss
.Anschluss an Abwasserkanal
.Strom und Internetanschluss
.es fehlen ca. 12 m Zuleitung Wasser
.Geh- und Fahrtrecht
.2 Balkone mit unverbaubarem Südblick
.3-fach verglaste Fenster
im...
Weitere Informationen
Sonstiges
Wir freuen uns auf Ihre Anfrage!
Gerne stellen wir Ihnen weitere Informationen zu dieser Immobilie zur Verfügung. Bitte füllen Sie hierzu das Kontaktformular vollständig aus. Herr Ekkehard Kramer wird sich anschließend persönlich mit Ihnen in Verbindung setzen.
Gemäß der Neuregelung im...
Anbieter der Immobilie
Online-ID: 2k9em5t
Referenznummer: EK009
Finde Angebote wie dieses
Hier geht es zu unserem Impressum, den Allgemeinen Geschäftsbedingungen, den Hinweisen zum Datenschutz und nutzungsbasierter Online-Werbung.