
Golden Home Real Ltd & Co KG
Stephanus Röschard
004 ···
Nr. anzeigenPreise & Kosten
Provision für Käufer
7,14% inkl. 19.00% MwSt.
Lage
Sasel ist ein wunderschöner Stadtteil im Nordosten Hamburgs, der durch seine ruhige und grüne Atmosphäre besticht. Hier findest du eine harmonische Mischung aus charmanten Einfamilienhäusern, gepflegten Gärten und großzügigen Grundstücken. Die Lage ist ideal für alle, die dem Trubel der Stadt entfliehen möchten, aber dennoch...
Die Immobilie
Zu diesem Angebot wurden vom Anbieter keine weiteren Daten hinterlegt. Für weitere Informationen bitte den Anbieter kontaktieren.
Nach Informationen fragenDetails
Objektbeschreibung
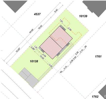
Hier haben Sie die Möglichkeit, ein Teilstück eines ideell geteilten Grundstücks zu erwerben. Das Gesamtgrundstück umfasst ca. 776?m². Im Jahr 2021 wurde eine Baugenehmigung für ein Doppelhaus mit einer geplanten Wohn- und Nutzfläche von ca. 400?m² erteilt.
Sie haben auch die Möglichkeit das ganze Grundstück für...
Weitere Informationen
Stichworte
GRZ: 0.22
Anbieter der Immobilie
Golden Home Real Ltd & Co KG
Unter den Linden 10, 10117 Berlin
Online-ID: 2katy5j
Referenznummer: 01JYRK1NQ68Z2CDXQ7VFDGE363
Finde Angebote wie dieses
Hier geht es zu unserem Impressum, den Allgemeinen Geschäftsbedingungen, den Hinweisen zum Datenschutz und nutzungsbasierter Online-Werbung.