
MBI Bormann Immobilien Vermittlungsgesellschaft mbH
Frau Jennifer Bormann
040 ···
Nr. anzeigenPreise & Kosten
Kaution
3 Brutto-Monatsmieten als Bankbürgschaft
Provision für Mieter
2,5 Brutto-Monatsmieten zzgl. 19% MwSt., verdient und zur Zahlung fällig bei Mietvertragsabschluss, zahlbar durch den Mieter.
Warum sehe ich diese Anzeige? – Du siehst diese Anzeige basierend auf Ihrer Navigation auf unserer Website und den Suchkriterien, die du verwendet hast.
Lage
Die AKN ist fußläufig in 5 Min. zu erreichen. Von dort aus sind es 4 Minuten bis Norderstedt-Mitte, gen Norden erreicht man so Henstedt-Ulzburg, Quickborn und Kaltenkirchen.
Mit dem Auto ist man in nur 8 Min. an der A7, in 20 Min am Hamburger Flughafen und auch die Hamburger City ist nur ca. 35 Min. entfernt.
Die Industriefläche
Bezug
nach Vereinbarung, kurzfristig möglich
Energie & Heizung
Warum sehe ich diese Anzeige? – Du siehst diese Anzeige basierend auf Ihrer Navigation auf unserer Website und den Suchkriterien, die du verwendet hast.
Weitere Energiedaten
Energieträger
Gas
Heizungsart
Zentralheizung
Details
Objektbeschreibung
Objektbeschreibung
Die Nebenkosten beinhalten auch den Mieter-Strom!
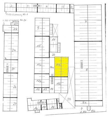
Diese beheizbare Halle befindet sich auf einem ansprechenden, organisierten & sehr gepflegten Gewerbehof (s. Lageplan – gelb gekennzeichnet).
Die Halle wird über ein ebenerdiges Schiebetor angedient.
Die lichte Höhe beträgt ca...
Weitere Informationen
Besichtigungstermine
Die Mindestmietzeit beträgt 24 Monate.
Die Mietpreise verstehen sich zzgl. gesetzl. MwSt.
Bitte achten Sie bei Ihrer Anfrage darauf, uns Ihre vollständigen Kontaktdaten mitzuteilen:
- vollständiger Name + Firma
- Adresse
- Telefonnummer
- Email-Adresse
Bitte haben...
Anbieter der Immobilie
MBI Bormann Immobilien Vermittlungsgesellschaft mbH
Friedrich-Ebert-Straße 2 - 4, 22848 Norderstedt
Online-ID: 2kgkp5t
Referenznummer: 1560b
Finde Angebote wie dieses
Hier geht es zu unserem Impressum, den Allgemeinen Geschäftsbedingungen, den Hinweisen zum Datenschutz und nutzungsbasierter Online-Werbung.