E&F Consulting GmbH
Herr Paul Frieling
+49 ···
Nr. anzeigenPreise & Kosten
Provision für Käufer
3.00 zzgl. MwSt.
Lage
Der heilklimatische Kurort Höchenschwand liegt im südlichen Hochschwarzwald an der B 500 etwa 20 km nördlich der Kreisstadt Waldshut-Tiengen auf einem leicht nach Süden geneigten Hochplateau im Naturpark Südschwarzwald. Bekannt ist der Ort für das hier vor allem bei Föhn- oder Inversionswetterlage weitgedehnte...
Das Renditeobjekt
Kategorie
Mehrfamilienhaus
Baujahr
1955
Frei ab
vermietet
Details
Objektbeschreibung
Gartenwohnung und Keller - Untergeschoss - UG
EG/Hochparterre / Vollgeschoss
OG / Vollgeschoss
DG mit Dachschräge
Ein Renditeobjekt mit insgesamt 7 Wohneinheiten
und 20 Garagen.
Dieses nicht alltägliche Angebot richtet sich an einen Investor, der das Potential des Hauses, Mietsteigerungen...
Ausstattung
Dach und Fenster NEU = In 2011
Pellet-Heizung NEU = In 2021
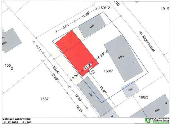
Baufenster / Abriss einiger Garagen und NEUBAU
eines zusätzlichen Gebäudes. 8 Wohneinheiten sind möglich.
20 x 10 Meter sind möglich. Siehe Lageplan.
1.720 Grundstücksgröße.
Wohnfläche des bestehendes Gebäude gesamt: 547 m² plus...
Weitere Informationen
Sonstiges
Die Nutzfläche beträgt 672 m². Die Garagen sind an die Mieter und an Dritte Personen vermietet.
Bei einem persönlichen Gespräch können wir gemeinsam weitere Detail besprechen.
Wir freuen uns auf Ihre Kontaktaufnahme per E-Mail oder
via Telefon.
Stichworte
4 Etagen, Distanz zum...
Anbieter der Immobilie
E&F Consulting GmbH
Rhypark 5a, 5080 LAUFENBURG
Online-ID: 2kjpv5y
Referenznummer: 92
Finde Angebote wie dieses
Hier geht es zu unserem Impressum, den Allgemeinen Geschäftsbedingungen, den Hinweisen zum Datenschutz und nutzungsbasierter Online-Werbung.