

Sparkasse Trier
Herr Dominik Müller-Wintersig
065 ···
Nr. anzeigenPreise & Kosten
Provision für Käufer
3,57 % inkl. MwSt.
Das Grundstück
Details
Objektbeschreibung
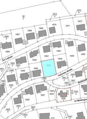
Dieses voll erschlossene Baugrundstück liegt in ruhiger Lage von Korlingen.
Das Grundstück umfasst eine Fläche von ca. 611m² und befindet sich in Hanglage.
Im oberen Bereich des Grundstücks können Sie einen schönen Ausblick in Ruwertal genießen.
Das Grundstück ist vollständig erschlossen und direkt bebaubar...
Ausstattung
Individuelle Ausstattungsmerkmale:
- Hanglage
Weitere Informationen
Sonstiges
Verbraucherinformationen - https://lbs-immosw.de/verbraucherinfo/
Stichworte
Bundesland: Rheinland-Pfalz
Anbieter der Immobilie

Online-ID: 2kjum5p
Referenznummer: 60632025
Finde Angebote wie dieses
Hier geht es zu unserem Impressum, den Allgemeinen Geschäftsbedingungen, den Hinweisen zum Datenschutz und nutzungsbasierter Online-Werbung.