


1 / 19



1 / 19
Sonstiges zum Kauf • als Kapitalanlage geeignet680000 €680.000 €873 €/m²23 Zimmer • 779 m² • 980 m² Grundstück
680000 €680.000 €
873 €/m²
23 Zimmer • 779 m² • 980 m² Grundstück
Wo Vision auf Potenzial trifft: Zinshaus 2 - NEUNKIRCHEN - Entwicklungsobjekt in Bestlage
Eine außergewöhnliche Chance für Bauträger und Investoren mit Vision
Drohnenflug:
Tauchen Sie ein in die Atmosphäre dieser Immobilie - unser Drohnenflug zeigt Ihnen eindrucksvoll die Umgebungund das Objekt aus der Luft:
YouTube FRE: VIDEO ANSEHEN [https://youtu.be/MNd3sb3t4Vc?si=LH1OaOHqsBUXDQDm]
Im Herzen von Neunkirchen wartet ein charmantes historisches Zinshaus darauf, in ein neues Kapitel geführt zu werden. Diese Liegenschaft vereint Substanz, Raum und Perspektive - und bietet eine seltene Gelegenheit für eine nachhaltige Immobilienentwicklung.
Die Eckdaten im Überblick
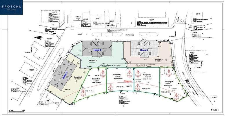
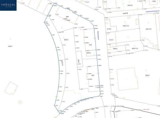
* Grundstücksfläche: 980 m²
* Wohnnutzfläche: 779 m²
* Geplante Wohneinheiten: 16 Wohnungen (laut Einreichplan)
* Preis pro m² Nutzfläche: € 924,26
Entwicklung mit historischer Substanz
Das Bestandsgebäude (Baujahr ca. 1910-1913) bietet eine solide Grundlage für eine umfassende Sanierung. Erste Maßnahmen wurden bereits in den 1990er Jahren umgesetzt - darunter die Erneuerung der Elektroinstallationen, Sanierung der Fenster sowie Neueindeckung des Daches inklusive Spenglerarbeiten. Eine behutsame Revitalisierung eröffnet neue Nutzungsperspektiven - vom klassischen Mietwohnbau bis hin zu innovativen Wohnkonzepten.
Zusätzliches Entwicklungspotenzial
Das ausbaufähige Dachgeschoss ermöglicht eine weitere Verdichtung und Optimierung der Nutzfläche. Hier können zusätzliche Wohnräume geschaffen werden, die das Investitionspotenzial der Liegenschaft erheblich steigern.
Für Entwickler mit Weitblick
Ob zur Neubelebung der historischen Substanz oder zur Schaffung zusätzlicher Wohnräume durch den Dachausbau: Diese Liegenschaft bietet ein starkes Fundament für nachhaltige Immobilienentwicklung - mit langfristigem Wertsteigerungspotenzial und einer begehrten Lage im südlichen Niederösterreich.
Services & Begleitung während der Entwicklung
Auf Wunsch begleiten wir Sie umfassend durch den Entwicklungsprozess - von der Machbarkeitsstudie über die Einreichplanung bis hin zur Entwicklung individueller Nutzungskonzepte für die Bestandsrevitalisierung und den Dachausbau.
Ein Ort mit Geschichte, bereit für neue Ideen. Ideal für Projektentwickler, die urbanen Lebensraum mit Charakter und Perspektive schaffen möchten.
Bei einer qualifizierten Anfrage (Firmenname, Firmenadresse, Email-Adresse, Mobile-Nummer) übermitteln wir Ihnen gerne zusätzliche Unterlagen zur Durchsicht:
* Einreichpläne Objekte Werksgasse 8, 10 und 12
* Teilungsplan - aktuellste Version
* Forecast - Annahme der Zinsliste
Nutzen Sie die einmalige Gelegenheit, dieses außergewöhnliche Entwicklungsprojekt in Neunkirchen zu übernehmen.
Vereinbaren Sie noch heute einen Besichtigungstermin und lassen Sie sich von dieser beeindruckenden Immobilie überzeugen! Wir freuen uns darauf, Sie persönlich zu begrüßen. Bei weiteren Fragen stehen wir Ihnen jederzeit unter +43 664 1838 268 [tel:+436641838268] zur Verfügung oder senden Sie uns eine E-Mail an christian@froeschl.estate.
Besuchen Sie www.froeschl.estate und entdecken Sie unsere neuesten Objekte sowie beeindruckende 360º virtuelle Rundgänge! Wir freuen uns darauf, gemeinsam mit Ihnen geführte virtuelle Besichtigungen zu unternehmen.
Unsere Angaben basieren auf den Informationen des Eigentümers; Änderungen und Irrtümer sind vorbehalten.
Unsere Angaben basieren auf den Informationen des Eigentümers; Änderungen und Irrtümer sind vorbehalten.
Sie möchten den Wert einer Immobilie wissen? Bewertungen professionell und präzise.
FRÖSCHL real estate ermittelt den Verkehrswert Ihrer Liegenschaft. Das schriftliche Bewertungsgutachten ist ein umfangreiches Dokument, aus dem dieser hervorgeht. Wir ermitteln abhängig von Ihrem Objekt über den Vergleichswert, den Sachwert oder den Ertragswert, unter Beachtung aller relevanten Unterlagen, den aktuellen Marktwert ihrer Immobilie. Gerne übernehmen wir Bewertungen auch aus anderen Anlässen wie innerfamiliären Angelegenheiten, Erbschaften oder steuerlichen Anforderungen und dergleichen.
Wir weisen darauf hin, dass zwischen dem Vermittler und dem zu vermittelnden Dritten ein familiäres oder wirtschaftliches Naheverhältnis besteht.
Der Vermittler ist als Doppelmakler tätig.
Infrastruktur / Entfernungen
Gesundheit
Arzt <500m
Apotheke <1.000m
Krankenhaus <1.000m
Kinder & Schulen
Schule <500m
Kindergarten <1.500m
Nahversorgung
Supermarkt <500m
Bäckerei <1.000m
Einkaufszentrum <1.000m
Sonstige
Bank <1.000m
Geldautomat <1.000m
Polizei <1.000m
Post <1.000m
Verkehr
Bus <500m
Bahnhof <1.500m
Autobahnanschluss <2.000m
Angaben Entfernung Luftlinie / Quelle: OpenStreetMap
Drohnenflug:
Tauchen Sie ein in die Atmosphäre dieser Immobilie - unser Drohnenflug zeigt Ihnen eindrucksvoll die Umgebungund das Objekt aus der Luft:
YouTube FRE: VIDEO ANSEHEN [https://youtu.be/MNd3sb3t4Vc?si=LH1OaOHqsBUXDQDm]
Im Herzen von Neunkirchen wartet ein charmantes historisches Zinshaus darauf, in ein neues Kapitel geführt zu werden. Diese Liegenschaft vereint Substanz, Raum und Perspektive - und bietet eine seltene Gelegenheit für eine nachhaltige Immobilienentwicklung.
Die Eckdaten im Überblick
* Grundstücksfläche: 980 m²
* Wohnnutzfläche: 779 m²
* Geplante Wohneinheiten: 16 Wohnungen (laut Einreichplan)
* Preis pro m² Nutzfläche: € 924,26
Entwicklung mit historischer Substanz
Das Bestandsgebäude (Baujahr ca. 1910-1913) bietet eine solide Grundlage für eine umfassende Sanierung. Erste Maßnahmen wurden bereits in den 1990er Jahren umgesetzt - darunter die Erneuerung der Elektroinstallationen, Sanierung der Fenster sowie Neueindeckung des Daches inklusive Spenglerarbeiten. Eine behutsame Revitalisierung eröffnet neue Nutzungsperspektiven - vom klassischen Mietwohnbau bis hin zu innovativen Wohnkonzepten.
Zusätzliches Entwicklungspotenzial
Das ausbaufähige Dachgeschoss ermöglicht eine weitere Verdichtung und Optimierung der Nutzfläche. Hier können zusätzliche Wohnräume geschaffen werden, die das Investitionspotenzial der Liegenschaft erheblich steigern.
Für Entwickler mit Weitblick
Ob zur Neubelebung der historischen Substanz oder zur Schaffung zusätzlicher Wohnräume durch den Dachausbau: Diese Liegenschaft bietet ein starkes Fundament für nachhaltige Immobilienentwicklung - mit langfristigem Wertsteigerungspotenzial und einer begehrten Lage im südlichen Niederösterreich.
Services & Begleitung während der Entwicklung
Auf Wunsch begleiten wir Sie umfassend durch den Entwicklungsprozess - von der Machbarkeitsstudie über die Einreichplanung bis hin zur Entwicklung individueller Nutzungskonzepte für die Bestandsrevitalisierung und den Dachausbau.
Ein Ort mit Geschichte, bereit für neue Ideen. Ideal für Projektentwickler, die urbanen Lebensraum mit Charakter und Perspektive schaffen möchten.
Bei einer qualifizierten Anfrage (Firmenname, Firmenadresse, Email-Adresse, Mobile-Nummer) übermitteln wir Ihnen gerne zusätzliche Unterlagen zur Durchsicht:
* Einreichpläne Objekte Werksgasse 8, 10 und 12
* Teilungsplan - aktuellste Version
* Forecast - Annahme der Zinsliste
Nutzen Sie die einmalige Gelegenheit, dieses außergewöhnliche Entwicklungsprojekt in Neunkirchen zu übernehmen.
Vereinbaren Sie noch heute einen Besichtigungstermin und lassen Sie sich von dieser beeindruckenden Immobilie überzeugen! Wir freuen uns darauf, Sie persönlich zu begrüßen. Bei weiteren Fragen stehen wir Ihnen jederzeit unter +43 664 1838 268 [tel:+436641838268] zur Verfügung oder senden Sie uns eine E-Mail an christian@froeschl.estate.
Besuchen Sie www.froeschl.estate und entdecken Sie unsere neuesten Objekte sowie beeindruckende 360º virtuelle Rundgänge! Wir freuen uns darauf, gemeinsam mit Ihnen geführte virtuelle Besichtigungen zu unternehmen.
Unsere Angaben basieren auf den Informationen des Eigentümers; Änderungen und Irrtümer sind vorbehalten.
Unsere Angaben basieren auf den Informationen des Eigentümers; Änderungen und Irrtümer sind vorbehalten.
Sie möchten den Wert einer Immobilie wissen? Bewertungen professionell und präzise.
FRÖSCHL real estate ermittelt den Verkehrswert Ihrer Liegenschaft. Das schriftliche Bewertungsgutachten ist ein umfangreiches Dokument, aus dem dieser hervorgeht. Wir ermitteln abhängig von Ihrem Objekt über den Vergleichswert, den Sachwert oder den Ertragswert, unter Beachtung aller relevanten Unterlagen, den aktuellen Marktwert ihrer Immobilie. Gerne übernehmen wir Bewertungen auch aus anderen Anlässen wie innerfamiliären Angelegenheiten, Erbschaften oder steuerlichen Anforderungen und dergleichen.
Wir weisen darauf hin, dass zwischen dem Vermittler und dem zu vermittelnden Dritten ein familiäres oder wirtschaftliches Naheverhältnis besteht.
Der Vermittler ist als Doppelmakler tätig.
Infrastruktur / Entfernungen
Gesundheit
Arzt <500m
Apotheke <1.000m
Krankenhaus <1.000m
Kinder & Schulen
Schule <500m
Kindergarten <1.500m
Nahversorgung
Supermarkt <500m
Bäckerei <1.000m
Einkaufszentrum <1.000m
Sonstige
Bank <1.000m
Geldautomat <1.000m
Polizei <1.000m
Post <1.000m
Verkehr
Bus <500m
Bahnhof <1.500m
Autobahnanschluss <2.000m
Angaben Entfernung Luftlinie / Quelle: OpenStreetMap
Merkmale
- Bezug: Nach Vereinbarung
- 980 m² Grundstück
- Badezimmer: Bad mit Dusche, Bad mit Fenster
- Bodenbelag: Fliesen, Parkett, Stein
- voll erschlossen
Grundrisse
Grundrisse
1 / 6
Virtueller Rundgang
Video

Realisiere Dein Projekt
Bausubstanz und Energie
Heizwärmebedarf (HWB)
D
Gesamtenergieeffizienz (fGEE)
C
- Zustand der ImmobilieAltbau (bis 1945), Massivhaus, renovierungsbedürftig / sanierungsbedürftig
Preisdetails
Kaufpreis
680000 €680.000 €
872,91 €/m²
Provision für Käufer
3% des Kaufpreises zzgl. 20% USt.
Lage

Neunkirchen (2620)
Willkommen in einer Wohngegend, die urbanes Leben mit hoher Lebensqualität perfekt vereint. Die Liegenschaft Werksgasse 8, 10 und 12 in Neunkirchen bietet den idealen Rahmen für modernes Wohnen in einer Stadt mit Zukunft.
Alles, was das tägliche Leben angenehm macht, ist nur wenige Schritte entfernt:
Geschäfte für den täglichen Bedarf, Cafés, Banken und Dienstleistungen sind innerhalb von rund 7 Gehminuten erreichbar. Für die Gesundheit ist bestens gesorgt - das Landesklinikum Neunkirchen liegt nur 5 Gehminuten entfernt und bietet Sicherheit und Komfort direkt vor der Haustür.
Verbindungen, die Menschen zusammenbringen:
Der Bahnhof Neunkirchen mit direkter Zugverbindung nach Wien ist in ca. 13 Minuten zu Fuß erreichbar. Ob Pendler oder Stadtliebhaber - hier verbinden sich Mobilität und Lebensqualität auf angenehme Weise.
Zentrum des Lebens:
Nur 10 Gehminuten trennen die Liegenschaft vom Hauptplatz, dem lebendigen Herzen der Stadt. Hier trifft man sich zum Flanieren, Einkaufen oder Genießen in einer charmanten Kleinstadtatmosphäre.
Eine Stadt mit Perspektive:
Neunkirchen verbindet Tradition und Wachstum auf ideale Weise. Als Bezirkshauptstadt und wichtiger Wirtschaftsstandort bietet die Stadt:
. Eine stetig wachsende Bevölkerung und hohe Nachfrage nach qualitätsvollem Wohnraum,
. Eine lebendige Bildungslandschaft und zahlreiche Arbeitsplätze im Gesundheits-, Bildungs- und Dienstleistungssektor,
. Eine hervorragende Erreichbarkeit über die S6 Semmering Schnellstraße - Wien ist in kurzer Zeit erreichbar,
. Laufende Investitionen in die Stadtentwicklung und Infrastruktur, die Neunkirchen zu einem der begehrtesten Wohnstandorte im südlichen Niederösterreich machen.
Diese Wohnhausanlage bietet nicht nur eine ausgezeichnete Lage, sondern auch eine wunderbare Gelegenheit, Wohnträume zu verwirklichen - mitten in einer Stadt, die Lebensqualität großschreibt.
Weitere Details finden Sie im informativen Lage-Exposé, das Ihnen im Anhang als Download zur Verfügung steht.
Alles, was das tägliche Leben angenehm macht, ist nur wenige Schritte entfernt:
Geschäfte für den täglichen Bedarf, Cafés, Banken und Dienstleistungen sind innerhalb von rund 7 Gehminuten erreichbar. Für die Gesundheit ist bestens gesorgt - das Landesklinikum Neunkirchen liegt nur 5 Gehminuten entfernt und bietet Sicherheit und Komfort direkt vor der Haustür.
Verbindungen, die Menschen zusammenbringen:
Der Bahnhof Neunkirchen mit direkter Zugverbindung nach Wien ist in ca. 13 Minuten zu Fuß erreichbar. Ob Pendler oder Stadtliebhaber - hier verbinden sich Mobilität und Lebensqualität auf angenehme Weise.
Zentrum des Lebens:
Nur 10 Gehminuten trennen die Liegenschaft vom Hauptplatz, dem lebendigen Herzen der Stadt. Hier trifft man sich zum Flanieren, Einkaufen oder Genießen in einer charmanten Kleinstadtatmosphäre.
Eine Stadt mit Perspektive:
Neunkirchen verbindet Tradition und Wachstum auf ideale Weise. Als Bezirkshauptstadt und wichtiger Wirtschaftsstandort bietet die Stadt:
. Eine stetig wachsende Bevölkerung und hohe Nachfrage nach qualitätsvollem Wohnraum,
. Eine lebendige Bildungslandschaft und zahlreiche Arbeitsplätze im Gesundheits-, Bildungs- und Dienstleistungssektor,
. Eine hervorragende Erreichbarkeit über die S6 Semmering Schnellstraße - Wien ist in kurzer Zeit erreichbar,
. Laufende Investitionen in die Stadtentwicklung und Infrastruktur, die Neunkirchen zu einem der begehrtesten Wohnstandorte im südlichen Niederösterreich machen.
Diese Wohnhausanlage bietet nicht nur eine ausgezeichnete Lage, sondern auch eine wunderbare Gelegenheit, Wohnträume zu verwirklichen - mitten in einer Stadt, die Lebensqualität großschreibt.
Weitere Details finden Sie im informativen Lage-Exposé, das Ihnen im Anhang als Download zur Verfügung steht.
Weitere Informationen
Stichworte
Stellplatz vorhanden, Fahrradraum, Anzahl der Badezimmer: 40, Bundesland: Niederösterreich, 2 Etagen
Weitere Services
Lust auf eine Besichtigung?
Eine Frage zur Immobilie?
Über den Anbieter
Online-ID: 2kpdj5m
Referenznummer: OBGC20250630093418036e8c1c4ba97

Fröschl Real Estate OG
Wie zufrieden bist du mit dieser Seite (nicht mit der Immobilie selbst)?