

Volksbank Immobilien GmbH
Frau Samara Model
015 ···
Nr. anzeigenPreise & Kosten
Provision für Käufer
Bitte beachte, das Angebot kann bei Vertragsabschluss die Zahlung einer Provision beinhalten. Weitere Informationen erhältst Du vom Anbieter.
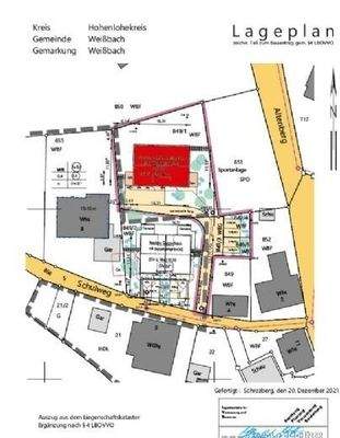
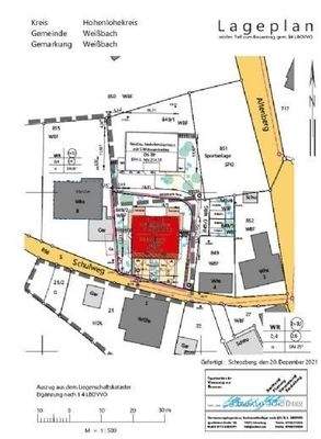
Lage
Die Gemeinde Weißbach befindet sich inmitten der Genießer- und Weltmarktführerregion Hohenlohe, etwa 10 km westlich der Kreisstadt Künzelsau.Aufgrund ihrer zentralen Lage, einem hervorragenden Angebot an Arbeitsplätzen sowie einer guten Infrastruktur wie z.B. Kleinkinderbetreuung, Kindergärten, Grundschule, Bürgerzentrum...
Die Immobilie
Zu diesem Angebot wurden vom Anbieter keine weiteren Daten hinterlegt. Für weitere Informationen bitte den Anbieter kontaktieren.
Nach Informationen fragenDetails
Objektbeschreibung
Bauträger Aufgepasst!
Unser einmaliges Angebot umfasst zwei Baugrundstücke mit erteilter Baugenehmigung für ein Doppelhaus und ein 5-Familienhaus mit PKW-Stellplätze.
Das Gesamtgrundstück weist eine Gesamtgröße von 1.509 m².
Durch eine Nutzungsänderung kann die erteilte Baugenehmigung individuell und persönlich...
Anbieter der Immobilie

Online-ID: 2krht56
Referenznummer: 55
Finde Angebote wie dieses
Hier geht es zu unserem Impressum, den Allgemeinen Geschäftsbedingungen, den Hinweisen zum Datenschutz und nutzungsbasierter Online-Werbung.