
WITTHÖFT Wohnimmobilien GmbH
Herr Knut Witthöft
004 ···
Nr. anzeigenPreise & Kosten
Provision für Käufer
3,15%
Lage
Das hier zum Verkauf angebotene Neubau-Einfamilienhaus befindet sich in einer äußerst ruhigen, familiengerechten Wohnstraße.
Die Hamburger Stadtgrenze befindet sich in unmittelbarer Nähe und der Duvenstedter Ortskern ist in wenigen Fahrminuten zu erreichen.
Die grüne Umgebung und die gute Verkehrsanbindung an Hamburg...
Das Haus
Kategorie
Einfamilienhaus
Baujahr
2024
Energie & Heizung
Warum sehe ich diese Anzeige? – Du siehst diese Anzeige basierend auf Ihrer Navigation auf unserer Website und den Suchkriterien, die du verwendet hast.
Energieausweistyp
Bedarfsausweis
Gebäudetyp
Wohngebäude
Baujahr laut Energieausweis
2024
Gültigkeit
bis 01.04.2034
Effizienzklasse
A+
Endenergiebedarf
18,30 kWh/(m²·a)
Weitere Energiedaten
Heizungsart
Fußbodenheizung, Luft-/Wasser-Wärmepumpe
Details
Objektbeschreibung
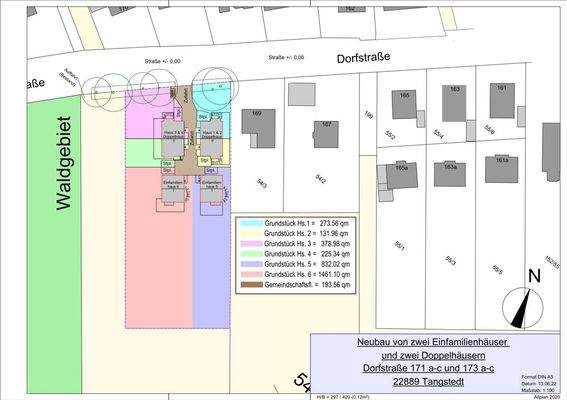
Auf dem Flurstücken 53/1 und 53/2 der Gemarkung Tangstedt wurden vier Doppelhaushälften und zwei Einfamilienhäuser in bester und solider Bauweise mit Erdgeschoss, Dachgeschoss, ausgebautem Spitzboden (Studio) sowie Vollkeller errichtet.
In diesem Zuge wurden die Grundstücke ideel geteilt und dem hier zum Verkauf stehenden...
Ausstattung
Dieses großzügige und voll unterkellerte Einfamilienhaus mit einer Wohnfläche von rund 161 m² entspricht dem heutigen Bedürfnis vom "modernen Wohnen".
Die Kombination aus zeitloser Eleganz sowie einem familiengerechten Raumangebot mit bestmöglicher Belichtung garantieren einen außergewöhnlichen Wohnkomfort. Es wird das...
Weitere Informationen
Stichworte
Anzahl der Schlafzimmer: 3, Anzahl der Badezimmer: 1, Anzahl der separaten WCs: 1, Anzahl Balkone: 1, Anzahl Terrassen: 1, Bundesland: Schleswig-Holstein
Anbieter der Immobilie
WITTHÖFT Wohnimmobilien GmbH
Saseler Chaussee 203, 22393 Hamburg
Online-ID: 2kwh55q
Referenznummer: 6114
Finde Angebote wie dieses
Hier geht es zu unserem Impressum, den Allgemeinen Geschäftsbedingungen, den Hinweisen zum Datenschutz und nutzungsbasierter Online-Werbung.