

Volksbank Immobilien GmbH
Frau Samara Model
015 ···
Nr. anzeigenPreise & Kosten
Provision für Käufer
Bitte beachte, das Angebot kann bei Vertragsabschluss die Zahlung einer Provision beinhalten. Weitere Informationen erhältst Du vom Anbieter.
Lage
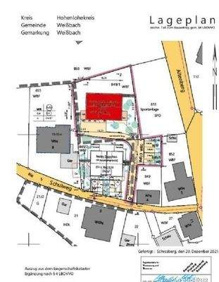
Die Gemeinde Weißbach befindet sich inmitten der Genießer- und Weltmarktführerregion Hohenlohe, etwa 10 km westlich der Kreisstadt Künzelsau.Aufgrund ihrer zentralen Lage, einem hervorragenden Angebot an Arbeitsplätzen sowie einer guten Infrastruktur wie z.B. Kleinkinderbetreuung, Kindergärten, Grundschule, Bürgerzentrum...
Die Immobilie
Zu diesem Angebot wurden vom Anbieter keine weiteren Daten hinterlegt. Für weitere Informationen bitte den Anbieter kontaktieren.
Nach Informationen fragenDetails
Objektbeschreibung
Bauträger Aufgepasst!
Unser einmaliges Angebot umfasst ein Baugrundstücke mit erteilter Baugenehmigung für ein 5-Familienhaus mit 6 PKW-Stellplätze. Das Grundstück ist voll erschlossen.
Das Gesamtgrundstück weist eine Größe von 908 m² aus.
Durch eine Nutzungsänderung kann die erteilte Baugenehmigung individuell und...
Ausstattung
Die Wohneinheiten haben eine gesamte Wohnfläche von 357m² zuzüglich 102 m² Nutzfläche.
Die Wohnflächen der einzelnen Wohnungen teilen sich wie folgt auf:
2 x 66,45 m²
2 x 77,49 m²
1 x 69,16 m²
Anbieter der Immobilie

Online-ID: 2kyft56
Referenznummer: 273
Finde Angebote wie dieses
Hier geht es zu unserem Impressum, den Allgemeinen Geschäftsbedingungen, den Hinweisen zum Datenschutz und nutzungsbasierter Online-Werbung.