strelow:IMMOBILIEN

Herr Dirk Strelow

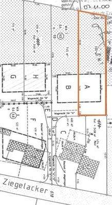
Liblar: Großzügiges Baugrundstück in Top-Lage

€ 320.000
Kaufpreis
703 m²
Grundstücksfl. ca.

Der Anbieter dieses Objekts hat gegenüber der AVIV Germany GmbH als Betreiber dieses Online-Marktplatzes erklärt, nicht als Unternehmer im Sinne des § 1 KSchG zu handeln. Die im Verbraucherschutzrecht der Union verankerten Verbraucherrechte (insbesondere Informationspflichten und Rücktritts- bzw. Widerrufsrechte) finden auf den Vertrag zwischen dem Anbieter des Objekts und Ihnen (dem Interessenten) keine Anwendung.

Gewerblicher Anbieter

Der Anbieter dieses Objekts hat gegenüber der AVIV Germany GmbH als Betreiber dieses Online-Marktplatzes erklärt, als Unternehmer im Sinne des § 1 KSchG zu handeln.

AdresseAm Ziegelacker
50374 Erftstadt 
(Liblar)
Auf Karte ansehen

Preise & Kosten

Kaufpreis € 320.000

Provision für Käufer

2,0% inkl. MwSt

Lage

Ruhige und doch zentrale Wohnlage in Erftstadt-Liblar.
Liblar ist mit ca. 13.000 Einwohnern der größte Stadtteil von Erftstadt. Sämtliche Einkaufsmöglichkeiten des alltäglichen Bedarfs sind verfügbar. Alle Schulformen und Kindergärten sind ebenfalls am Ort vorhanden. Eine große Anzahl von Vereinen sowie die unmittelbare...

Mehr anzeigen

Das Grundstück

  • bebaubar nach Bebauungsplan

Details

Objektbeschreibung

Sie suchen ein Grundstück in einer ruhigen Umgebung, das dennoch eine ausgezeichnete Anbindung an die Stadt bietet? Dann ist dieses Baugrundstück in Erftstadt-Liblar genau das Richtige für Sie!

Das Grundstück befindet sich in einer ruhigen Wohnstraße in zweiter Reihe, was für eine angenehme und private Atmosphäre sorgt...

Mehr anzeigen

Weitere Informationen

Sonstiges
Dieses Exposé wurde im Auftrag der Eigentümer der präsentierten Immobilie erstellt. Die Inhalte beruhen auf ihren Angaben. Wir sind bei der Erstellung mit größter Sorgfalt vorgegangen. Eventuelle Fehler bitten wir zu entschuldigen. Eine Haftung hierfür ist ausgeschlossen. Das Angebot ist unverbindlich und...

Mehr anzeigen

Anbieter der Immobilie

Partner

strelow:IMMOBILIEN

Donatusstr. 37, 50374 Erftstadt

user

Herr Dirk Strelow

Dein Ansprechpartner

Anbieter-Profil Anbieter-Impressum

Online-ID: 2kzr35r

Referenznummer: DS-442

Finde Angebote wie dieses

imageimageimage

Hier geht es zu unserem Impressum, den Allgemeinen Geschäftsbedingungen, den Hinweisen zum Datenschutz und nutzungsbasierter Online-Werbung.