

Loki Schmidt Immobilien
Frau Jill-Davina Schmidt
+49 ···
Nr. anzeigenPreise & Kosten
Provision für Käufer
18000€
Lage
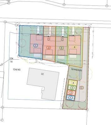
Das Neubauprojekt befindet sich in der attraktiven Gemeinde Rosengarten im Landkreis Harburg, südlich der Hansestadt Hamburg.
Rosengarten zählt zu den beliebtesten Wohnlagen im Hamburger Umland - ein Standort, der ländliche Ruhe, naturnahes Wohnen und die unmittelbare Nähe zur Metropole Hamburg in idealer Weise...
Das Haus
Kategorie
Reihenmittelhaus
Energie & Heizung
Warum sehe ich diese Anzeige? – Du siehst diese Anzeige basierend auf Ihrer Navigation auf unserer Website und den Suchkriterien, die du verwendet hast.
Energieausweis: für diesen Gebäudetyp nicht notwendig
Details
Objektbeschreibung
*Einheit 02*
Das geplante Neubauprojekt in Rosengarten umfasst vier moderne Reihenhäuser in hochwertiger Massivbauweise. Die Häuser sind klar gegliedert, funktional geplant und bieten großzügige, helle Wohnräume mit optimaler Raumaufteilung für Familien oder Paare mit Platzbedarf.
Jedes Haus verfügt über zwei...
Ausstattung
Das Reihenmittelhaus wird in massiver, energieeffizienter Bauweise errichtet und überzeugt durch eine hochwertige technische Ausstattung sowie solide Grundausführung.
Die gewählte Ausbaustufe "Malervorbereitet (inkl. technischer Fertigstellung - TF)" bietet Ihnen den idealen Mittelweg zwischen bezugsfertigem Neubau und...
Weitere Informationen
Sonstiges
Bei Abschluss eines notariellen Kaufvertrags ist vom Käufer eine Maklerprovision in Höhe von 3,57 % inkl. gesetzlicher MwSt. des Kaufpreises an den beauftragten Makler zu zahlen.
Der Verkauf erfolgt bauträgergebunden.
Das Grundstück wird direkt vom Eigentümer erworben, die Bebauung erfolgt über den mit...
Anbieter der Immobilie
Loki Schmidt Immobilien
Kiebitzstieg 2, 21629 Neu Wulmstorf

Online-ID: 2l3ft5u
Referenznummer: 4441573
Finde Angebote wie dieses
Hier geht es zu unserem Impressum, den Allgemeinen Geschäftsbedingungen, den Hinweisen zum Datenschutz und nutzungsbasierter Online-Werbung.