

Wehrmann Immobilien GmbH
Herr Ingo Scholing
017 ···
Nr. anzeigenPreise & Kosten
Provision für Käufer
3,57% inkl. MwSt.
Lage
Das Grundstück liegt in Bonn-Auerberg, einem lebendigen und zugleich ruhigen Stadtteil im Bonner Norden. Die Straße ist eine gewachsene Wohnstraße mit gepflegter Nachbarschaft, die vor allem durch Einfamilien- und Mehrfamilienhäuser geprägt ist.
Die Infrastruktur ist hervorragend: Einkaufsmöglichkeiten (Supermärkte...
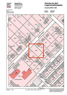
Das Grundstück
Details
Objektbeschreibung
Stellen Sie sich vor, wie Ihr neues Zuhause in Bonn-Auerberg entsteht: ein Einfamilienhaus mit Garten, Platz zum Spielen, Entspannen und Wohlfühlen. Das rund 730 m² große Grundstück bietet dafür die ideale Basis - rechteckig geschnitten, eben, bereits erschlossen und eingebettet in ein gewachsenes, familienfreundliches...
Weitere Informationen
Sonstiges
Für ein detailliertes Exposé nutzen Sie bitte die Kontaktfunktion.
Auf diese Weise können wir sicherstellen, dass der zuständige Immobilienbetreuer Ihre Anfrage schnellstmöglich bearbeitet.
## WARUM MIT WEHRMANN IMMOBILIEN VERKAUFEN? ##
Unser Service für Immobilieneigentümer...
Anbieter der Immobilie
Wehrmann Immobilien GmbH
Pilgrimstr. 6, 50674 Köln

Online-ID: 2l4h657
Referenznummer: 2806
Finde Angebote wie dieses
Hier geht es zu unserem Impressum, den Allgemeinen Geschäftsbedingungen, den Hinweisen zum Datenschutz und nutzungsbasierter Online-Werbung.