

Klessinger Immobilien
Herr Reinhart Klessinger
081 ···
Nr. anzeigenPreise & Kosten
Provision für Käufer
4,76% Käuferprovision inkl. MwSt.
Abschreibung/Anlage
als Kapitalanlage geeignet
Lage
Lage:
Hallbergmoos (PLZ 85399) ist eine Gemeinde im Landkreis Freising, Bayern, Deutschland.
Die Gemeinde liegt in der Nähe des Flughafens München und profitiert von seiner strategischen
Hallbergmoos zeichnet sich durch eine gute Verkehrsanbindung aus.
Die Autobahn A92 verläuft in unmittelbarer Nähe und...
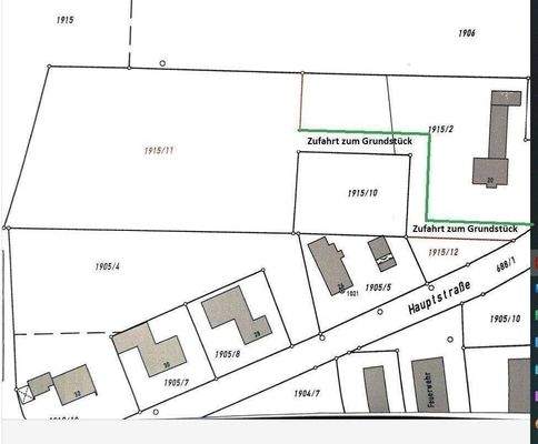
Das Grundstück
Details
Objektbeschreibung
Am 24. Juli 2019 wurde ein Wertgutachten für dieses Grundstück und die umliegenden Flächen in Auftrag gegeben. Die Gemeinde hatte Interesse, das Grundstück von meinen Auftraggebern für den Bau einer neuen Grundschule oder eines Feuerwehrhauses zu erwerben.
Später entschied sich die Gemeinde jedoch für einen anderen...
Anbieter der Immobilie

Online-ID: 2l5zm5j
Referenznummer: 1677-19
Finde Angebote wie dieses
Hier geht es zu unserem Impressum, den Allgemeinen Geschäftsbedingungen, den Hinweisen zum Datenschutz und nutzungsbasierter Online-Werbung.