
Löw Immobilien GmbH
Herr Philip Kies
+49 ···
Nr. anzeigenPreise & Kosten
Kaution
0
Provision für Käufer
3.57% inkl. MwSt vom Kaufpreis fällig nach Notartermin
Lage
Das Grundstück befindet sich in Heretsried, einem Ortsteil der Gemeinde Gablingen im Landkreis Augsburg (Bayern).
Heretsried liegt malerisch im Naturpark Augsburg - Westliche Wälder und bietet eine seltene Kombination aus ländlicher Ruhe, Naturverbundenheit und Nähe zur Stadt.
Die Umgebung ist geprägt von...
Die Immobilie
Zu diesem Angebot wurden vom Anbieter keine weiteren Daten hinterlegt. Für weitere Informationen bitte den Anbieter kontaktieren.
Nach Informationen fragenDetails
Objektbeschreibung
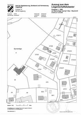
Zum Verkauf steht ein großzügiges, voll erschlossenes Grundstück(Flurnummer 575/5) mit einer Fläche von 1.604 m² im idyllischen Ortsteil Heretsried.
Das Grundstück liegt in leichter Hanglage und bietet einen weiten, unverbaubaren Blick über das Tal und die angrenzende Landschaft.
Direkt vor dem...
Weitere Informationen
Stichworte
Bundesland: Bayern, Zustand nach Vereinbarung
Anbieter der Immobilie
Online-ID: 2l6ac5v
Referenznummer: 84019
Finde Angebote wie dieses
Hier geht es zu unserem Impressum, den Allgemeinen Geschäftsbedingungen, den Hinweisen zum Datenschutz und nutzungsbasierter Online-Werbung.