

VAIGT IMMOBILIEN e.K.
Herrn Lars Vaigt
045 ···
Nr. anzeigenPreise & Kosten
Provision für Käufer
Die Maklercourtage für den Käufer beträgt 2,98 % inklusive der gesetzlich vorgeschriebenen 19 % MwSt. bezogen auf den Kaufpreis und ist nach Abschluss des notariellen Kaufvertrages ohne Abzug fällig.
Lage
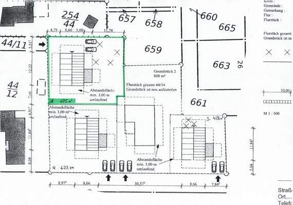
Das traumhafte Grundstück liegt am südlichen Ortsrand von Heiligenhafen.
Neben dem Grundstück ist ein Neubaugebiet mit Einfamilienhäusern entstanden.
Die Grundstücke sind bereits zum größten Teil bebaut.
Die naheliegende Autobahn ist mit Schallschutz versehen und stellt keine Beeinträchtigung da.
Zur Ortsmitte...
Das Grundstück
Details
Objektbeschreibung
Traumgrundstück mit Seeblick auf die Ostsee.
Viel Potenzial in guter Lage von Heiligenhafen.
Dieses außergewöhnliche Grundstück in bevorzugter Lage von Heiligenhafen bietet eine seltene Gelegenheit für Investoren, Bauherren oder Familien mit Weitblick. In unmittelbarer Nähe zur Ostsee gelegen, eröffnet sich Ihnen...
Weitere Informationen
Besichtigungstermine
In unserem Angebot haben wir für Sie alle wichtigen Informationen dargestellt. Über Ihre Email mit vollständigen Kontaktdaten oder Ihren Anruf freuen wir uns. Gern beraten wir Sie und stehen Ihnen für Rückfragen sowie ein persönliches Gespräch und einen Besichtigungstermin, der kurzfristig erfolgen...
Anbieter der Immobilie
VAIGT IMMOBILIEN e.K.
Bäderstr. 28, 23626 Ratekau

Online-ID: 2l6pw5k
Referenznummer: 25-393
Finde Angebote wie dieses
Hier geht es zu unserem Impressum, den Allgemeinen Geschäftsbedingungen, den Hinweisen zum Datenschutz und nutzungsbasierter Online-Werbung.