
Immobilienkonzepte Schmidt GmbH
Herr Ronnie Schmidt
063 ···
Nr. anzeigenPreise & Kosten
Provision für Käufer
3.570.-Euro inkl. 19% gesetzl. MwSt.
Lage
Willkommen in einer idyllischen Lage im Herzen der pfälzischen Natur, gelegen in der charmanten Gemeinde Elmstein im malerischen Appental. Dieses Grundstück bietet eine seltene Gelegenheit, Ihr Traumhaus in einer ruhigen und dennoch gut erreichbaren Umgebung zu verwirklichen. Die umgebende Landschaft zeichnet sich durch...
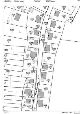
Das Grundstück
Details
Objektbeschreibung
Willkommen in Elmstein / Appental, wo sich ein einzigartiges Wohnbaugrundstück zur Verwirklichung Ihres Traumhauses anbietet. Diese Immobilie besticht durch ihre großzügige Grundstücksgröße von 568 Quadratmetern und bietet Ihnen genügend Raum für Ihre Wohnträume. Dank der sofortigen Verfügbarkeit können Sie ohne Verzögerung...
Ausstattung
- Bauplatz
- erschlossen
- GRZ 0,4
- GFZ 0,8
- WA
- 2 Vollgeschosse
- offene Bauweise
- Grundstücksgröße 568m²
- Bebaubar mit EFH und DHH
- Hanglage
Weitere Informationen
Sonstiges
Bitte haben Sie Verständnis, dass wir nur Anfragen mit vollständiger Adresse und Telefonnummer bearbeiten. Mehr Informationen und Terminreservierung erhalten Sie von unserem IKS Mitarbeiter. Die Informationen wurden vom Eigentümer bereitgestellt und konnten nicht auf Richtigkeit überprüft werden. Für deren...
Anbieter der Immobilie
Immobilienkonzepte Schmidt GmbH
Klosterstr. 3, 67480 Edenkoben

Online-ID: 2laf35t
Referenznummer: 613
Finde Angebote wie dieses
Hier geht es zu unserem Impressum, den Allgemeinen Geschäftsbedingungen, den Hinweisen zum Datenschutz und nutzungsbasierter Online-Werbung.