

Sparkasse Schweinfurt Haßberge
Herr Michael Zösch
095 ···
Nr. anzeigenPreise & Kosten
Provision für Käufer
provisionsfrei
Lage
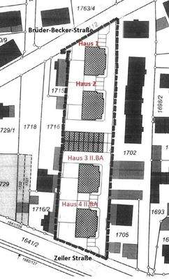
Hier lässt es sich prima leben - stadtnah und von viel Grün und Sonne umgeben!
Einmalig gelegenes Grundstück mit Terrassen und Balkone am grünen Stadtrand der lebhaften, sympathischen Kleinstadt Haßfurt am Main. Von hier aus erreichen Sie alle Annehmlichkeiten fußläufig, u.a. die Innenstadt mit Bahnhof.
Die...
Die Wohnung
Wohnungslage
Erdgeschoss
Bezug
Ende 2026/Anfang 2027
Wohnanlage
Energie & Heizung
Warum sehe ich diese Anzeige? – Du siehst diese Anzeige basierend auf Ihrer Navigation auf unserer Website und den Suchkriterien, die du verwendet hast.
Energieausweistyp
Bedarfsausweis
Gebäudetyp
Wohngebäude
Baujahr laut Energieausweis
2024
Wesentliche Energieträger
Umweltwärme
Gültigkeit
24.04.2024 bis 20.04.2034
Effizienzklasse
A+
Endenergiebedarf
19,50 kWh/(m²·a)
Weitere Energiedaten
Haustyp
KfW 55
Heizungsart
Fußbodenheizung, Zentralheizung
Details
Objektbeschreibung
Kurzbeschreibung
Vertriebsstart des zweiten Bauabschnitts mit weiteren 14 Komfortwohnungen in energieeffizienter Massivbauweise mit Keller, Garagen, Terrassen & Privatgärten oder Balkone - schlüsselfertig - keine Käuferprovision
Objekt
Vertriebsstart des zweiten Bauabschnitts mit weiteren 14 Komfortwohnungen...
Ausstattung
Abruflink des 360-Grad-Turnable (Rundum-Ansicht):
https://www.immobilienbesichtigung-24.de/AMFT-Bau-20197/Hassfurt-Zeiler-Str-Brueder-Becker-Str/18-Turntable/Hassfurt-Zeiler-Str.html
Weitere Informationen
Sonstiges
Erwerbsnebenkosten:
ca. 2% Notar- und Grundbuchgebühren, 3,5% Grunderwerbsteuer,
Provisionsfrei für den Käufer
Rundumansicht - https://www.immobilienbesichtigung-24.de/AMFT-Bau-20197/Hassfurt-Zeiler-Str-Brueder-Becker-Str/18-Turntable/Hassfurt-Zeiler-Str.html
Bewegliche 360-Grad-Ansicht -...
Dokumente
Anbieter der Immobilie

Online-ID: 2lamz55
Referenznummer: 1/20/142-361/010784-2 Zeiler Straße 17
Finde Angebote wie dieses
Hier geht es zu unserem Impressum, den Allgemeinen Geschäftsbedingungen, den Hinweisen zum Datenschutz und nutzungsbasierter Online-Werbung.