Dahlen, Frühjahrs-Rabatt auf vollerschlossene Baugrundstücke v.564-1054m²!
Nutzen Sie die Gelegenheit des Frühjahrs- Rabatt auf den reinen Grundstückskaufpreis, zudem fällt KEINE Maklercourtage an, einfach Ihr Wunschgrundstück aussuchen, Finanzierung forcieren und Ihr Traumhaus mit der Hausbaufirma Ihrer Wahl planen,
Herzlich Willkommen in Dahlen!
Gebaut wird nach einem rechtskräftigen B-Plan der Stadt Dahlen, das Baugebiet ist vollerschlossen und auch die GRundstücksanschlüsse sind in jedem Grundstück hergestellt.
Ökologie wird groß geschrieben, d.h. ein nahe liegender Solarpark liefert Ihnen grünen Strom, Abwasserkosten fallen nicht an, da Sie über eine Vollbiologie kein Abwasser ins öffentliche Kanalnetz einleiten.
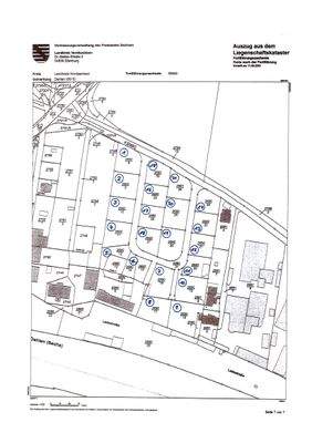
Dieses Angebot bezieht sich auf Grdt. 12 mit 586m² und einen Preisvorteil von 10.460,10 € !!!
Die ausgeführten Leistungen für Vermessung/ innere und äußere Erschließung kommen zum Grundstückskaufpreis dazu, rufen Sie sich einfach mehr Info´s ab, Fr.Astrid Veit 0172 3436737 ist gerne für Sie da!
Sie haben die Wahl zw. Grundstücksgrößen von 564-1054m². Die strukturelle Anbindung ist perfekt, zu Fuß erreichen Sie in 10min. die S-Bahnstation und sind in 35min. auf dem Leipziger HBF, oder in Oschatz etc.. Unweit entfernt, können Sie das Waldgebiet "Dahlener Heide" und einen Natursee genießen. Zudem erlaufen Sie die ersten Einkaufsmöglichkeiten vom Baugebiet aus, Kinder - und kulinarische Einrichtungen sind natürlich vorhanden. Ein Wohnstandort mit allen Vorteilen einer Stadt und Natur pur.
Merkmale
frei ab sofort
624 m² Grundstück
voll erschlossen
Strom, Telekommunikation, Wasser
Grundrisse
Grundrisse
1 / 1
Realisiere Dein Projekt
Bausubstanz und Energie
Energieausweis
Ein Energieausweis ist für diesen Gebäudetyp nicht notwendig.
Preisdetails
Kaufpreis
63117.6 €63.117,60 €
101,15 €/m²
Provision für Käufer
provisionsfrei
Geschätzte Gesamtkosten
63.118 €1
Kaufpreis
63.118 €
1Der angezeigte Wert ist eine automatisch berechnete Schätzung von immowelt.
Lage
Hainstraße 2a, Dahlen (04774)
Perfekte strukturelle Anbindung durch die zu Fuß erreichbare Bahnstation, Bus und Autobahnanbindung.
Das Waldgebiet, die Dahlener Heide, lädt zum Wandern, Fahrradfahren und Pilze suchen ein, der nahe gelegene Natursee bringt der gesamten Familie puren Badespaß. Die Stadt Dahlen bietet Ihnen alle Vorteile einer Stadt, vom einkaufen bis kulinarische Einrichtungen, Kindereinrichtungen und medizinische Versorgung. Die Schmannewitzer Klinik ist zudem unweit entfernt.
Ein Wohnstandort, der bestens geeignet ist Kinder groß zu ziehen und Ihnen ein schönes Wohnen garantiert, Willkommen!