
Deutsche Bank Immobilien GmbH
Frau Olga Jazkow
015 ···
Nr. anzeigenPreise & Kosten
Provision für Käufer
3,57 % inkl. MwSt.
Lage
Die Region rund um Niederhausen an der Appel ist ein Paradies für Naturliebhaber. Zahlreiche Wanderwege führen direkt am Grundstück vorbei und laden zu Erkundungstouren durch die umliegende Hügellandschaft ein. Die ruhige Lage bietet eine entspannte Atmosphäre, abseits vom städtischen Trubel. Gleichzeitig sind...
Das Grundstück
Details
Objektbeschreibung
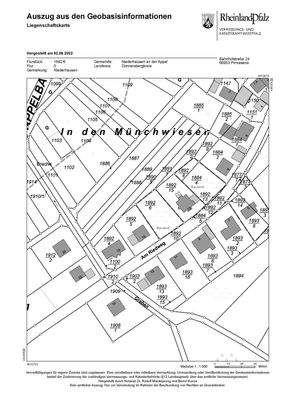
Dieses idyllisch gelegene Baugrundstück (Flurstück 1892/6) befindet sich in Niederhausen an der Appel, einer ruhigen und naturnahen Ortschaft in Rheinland-Pfalz. Das 653 m² große Grundstück bietet Ihnen einen unvergleichlichen, unverbauten Blick ins malerische Tal. Eingebettet in eine ruhige Wohngegend, ist es der ideale...
Ausstattung
Das Grundstück ist voll erschließbar und die Bebauung erfolgt in Anpassung an die umliegende Architektur, sodass sich Ihr zukünftiges Heim optimal in das Dorf- und Landschaftsbild einfügt. Die Hanglage bietet Möglichkeiten für Terrassen oder ein mehrstöckiges Haus mit einzigartigen Ausblicken. Die Nähe zur Natur macht dieses...
Weitere Informationen
Sonstiges
Dieses Grundstück erwerben Sie für 50.000,- € zuzüglich Maklerprovision in Höhe von 3.57 % inkl. MwSt. 19%. Die Provision ist verdient mit Abschluss des notariellen Kaufvertrages und fällig mit der Rechnungsstellung.
Info zum Geldwäschegesetz (GWG) gemäß § 2 Absatz 1 Nr. 10 GWG. Nach diesem Gesetz ist jeder...
Anbieter der Immobilie
Deutsche Bank Immobilien GmbH
Europaplatz 17, 55543 Bad Kreuznach
Online-ID: 2lcvf58
Referenznummer: 44330106-071644
Finde Angebote wie dieses
Hier geht es zu unserem Impressum, den Allgemeinen Geschäftsbedingungen, den Hinweisen zum Datenschutz und nutzungsbasierter Online-Werbung.