

Grundstück zum Kauf • provisionsfrei39000 €110 €/m²356 m² Grundstück • frei ab sofort
39000 €
110 €/m²
356 m² Grundstück • frei ab sofort
Ein kleines Baugrundstück am Rande des Harzes
Merkmale
- frei ab sofort
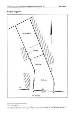
- 356 m² Grundstück
- Bauland ohne Bebauungsplan
- voll erschlossen
- Strom, Gas, Telekommunikation, Wasser
Grundrisse
Grundrisse
1 / 2
Realisiere Dein Projekt
Bausubstanz und Energie
Energieausweis
Preisdetails
Kaufpreis
39000 €
109,55 €/m²
Provision für Käufer
provisionsfrei
Geschätzte Gesamtkosten
39.000 €1
Kaufpreis
39.000 €
1Der angezeigte Wert ist eine automatisch berechnete Schätzung von immowelt.
Lage

Hauptstraße 109, Opperode, Ballenstedt (06493)
Weitere Informationen
Weitere Services
Lust auf eine Besichtigung?
Eine Frage zur Immobilie?
Über den Anbieter
Kreuzdornweg 5, 14542 Werder/Havel
Partnerschaft

Herr Klaus VehlowDein Kontakt
Online-ID: 25VJH42BEGJ9
Referenznummer: 2225


Immobilienbüro Vehlow
Wie zufrieden bist du mit dieser Seite (nicht mit der Immobilie selbst)?

