

Immobilien Hofmann GmbH & Co. KG
Herr Florian Meisters
087 ···
Nr. anzeigenPreise & Kosten
Provision für Käufer
3,57%
Provision berechnet sich aus dem Notariell beurkundeten Verkaufspreis d.h. 3,57% Provision inkl. der gesetzlichen MwSt.
Lage
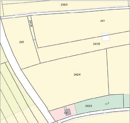
Das angebotene Grundstück befindet sich in der Gemarkung Hackerskofen, einem Ortsteil der niederbayerischen Gemeinde Gottfrieding im Landkreis Dingolfing-Landau. Hackerskofen liegt idyllisch auf einer leichten Anhöhe oberhalb des Tals des Mamminger Bachs, einem rechten Seitental des unteren Isartals. Die Umgebung ist geprägt...
Land-/Forstwirtschaft
Bezug
Sofort (derzeit verpachtet)
Energie & Heizung
Warum sehe ich diese Anzeige? – Du siehst diese Anzeige basierend auf Ihrer Navigation auf unserer Website und den Suchkriterien, die du verwendet hast.
Energieausweis: für diesen Gebäudetyp nicht notwendig
Details
Objektbeschreibung
Zum Verkauf steht eine landwirtschaftlich genutzte Ackerfläche in Hackerskofen, einem Ortsteil der Gemeinde Gottfrieding. Die Fläche ist gut erreichbar und eignet sich hervorragend für die weitere landwirtschaftliche Nutzung.
Eckdaten zur Fläche:
- Nutzung: Landwirtschaftlich
- Derzeit verpachtet (unbefristetes...
Weitere Informationen
Sonstiges
Prospekthaftungshinweis:
Dieses Exposé stellt kein Verkaufsangebot dar. Es dient allein Informationszwecken. Alle Angaben und Darstellungen in diesem Exposé wurden zwar mit größter Sorgfalt überprüft und zusammengestellt, sie können sich aber jederzeit ändern. Weder Immobilien Hofmann noch die übrigen...
Anbieter der Immobilie

Online-ID: 2levj5j
Referenznummer: 1392
Finde Angebote wie dieses
Hier geht es zu unserem Impressum, den Allgemeinen Geschäftsbedingungen, den Hinweisen zum Datenschutz und nutzungsbasierter Online-Werbung.