
Neumann Immobilien GmbH
Herr Philipp Neumann
+49 ···
Nr. anzeigenPreise & Kosten
Provision für Käufer
2.975,- € inkl. MwSt. verdient und fällig bei notarieller Beurkundung. Wir haben einen provisionspflichtigen Maklervertrag in gleicher Höhe mit dem Verkäufer abgeschlossen, § 656 c BGB.
Lage
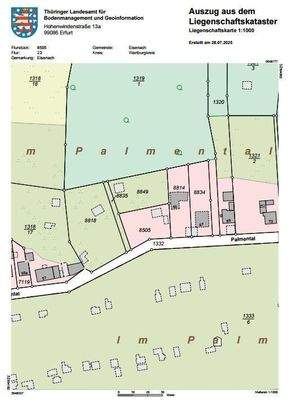
Das Palmental liegt am nordöstlichen Stadtrand von Eisenach - grün, aufgelockert und von Einfamilienhäusern sowie Schrebergärten geprägt. Von hier aus blicken Sie Richtung Petersberg und genießen die sonnige Südhanglage.
Einkauf, Alltagserledigungen und die Eisenacher Innenstadt sind gut erreichbar; zugleich wohnen Sie...
Das Grundstück
Details
Objektbeschreibung
Dieses Grundstück spricht all jene an, die Sonne lieben und gerne mit Ideen spielen. Auf der südlich ausgerichteten Hanglage öffnet sich oberhalb der Böschung ein natürliches Plateau - ein schöner Ort mit viel Licht, einer schönen Aussicht und umgebenden Grün.
Der positive Bauvorbescheid aus 2022 bestätigt die...
Ausstattung
- Ausrichtung/Lage: Südhang, oberhalb der straßenseitigen Böschung befindet sich ein Plateau
- Höhendifferenz zur Straße: ca. 5 m
- Bebaubarkeit: positiver Bauvorbescheid (2022) für Einfamilienhaus mit Garage im Untergeschoss
- Altbestand: 2 Gartenbungalows, baufällig/abrissreif
- Erschließung: Strom, Wasser und...
Weitere Informationen
Sonstiges
Dieses Angebot ist freibleibend und unverbindlich. Irrtum oder Zwischenverwertung bleiben vorbehalten. Dieses Angebot wurde auf Grundlage der vom Eigentümer zur Verfügung gestellten Unterlagen sowie dessen Angaben, ohne Gewähr gefertigt.
Anbieter der Immobilie
Neumann Immobilien GmbH
Theaterplatz 3, 99817 Eisenach
Online-ID: 2lf8h5k
Referenznummer: 1580 (1/1580)
Finde Angebote wie dieses
Hier geht es zu unserem Impressum, den Allgemeinen Geschäftsbedingungen, den Hinweisen zum Datenschutz und nutzungsbasierter Online-Werbung.