
Immobilien Mitzam GbR
Herr Claudius Mitzam
084 ···
Nr. anzeigenPreise & Kosten
Provision für Käufer
provisionsfrei
Lage
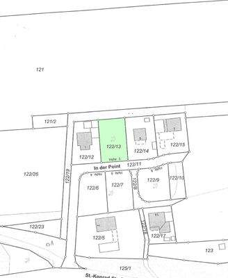
1A-Lage
Das Grundstück befindet sich in sehr ruhiger und sehr sonniger Lage am Ortsrand von Attenzell.
Die Immobilie
Zu diesem Angebot wurden vom Anbieter keine weiteren Daten hinterlegt. Für weitere Informationen bitte den Anbieter kontaktieren.
Nach Informationen fragenDetails
Objektbeschreibung
Fakten:
- Preis pro m² 210,-- EUR
- Ein Bebauungsplan liegt vor!
- Wohngebiet (WA)
- GRZ 0,4
- GFZ 0,6
Erschließung:
- Erstmalige Herstellung Flächenerschließung Abwasser/Wasser im Kaufpreis enthalten!
- Erstmalige Herstellung Geschossfläche (25% der Grundfläche) Wasser/Abwasser im Kaufpreis...
Weitere Informationen
Standort
Attenzell:
Ein Ortsteil der Gemeinde Kipfenberg (7 km) im bayerischen Landkreis Eichstätt, der in der Nähe von Ingolstadt (17 km) und im Naturpark Altmühltal liegt.
Die Einwohnerzahl beträgt ca. 260.
Dank der zentralen Lage (Eichstätt-Neuburg-Ingolstadt) verfügt Attenzell über eine gute regionale...
Anbieter der Immobilie
Immobilien Mitzam GbR
Ingolstädter Str. 18, 92339 Beilngries
Online-ID: 2lfgr5x
Referenznummer: 0001582
Finde Angebote wie dieses
Hier geht es zu unserem Impressum, den Allgemeinen Geschäftsbedingungen, den Hinweisen zum Datenschutz und nutzungsbasierter Online-Werbung.