

Dolberg & Uderstadt Immobilien
Herr Yannick Barck
015 ···
Nr. anzeigenPreise & Kosten
Provision für Käufer
3,57 %
Lage
Dieses Grundstück liegt in in zentraler Lage von HH-Duvenstedt. Im lebendigen Zentrum finden Sie alle Einkaufsmöglichkeiten für den täglichen Bedarf - naturnahes Wohnen mit allen Vorzügen einer Metropole.
Link zum Video: https://youtu.be/DXRBUBryPM8?si=RcO_c5lbz8kjWiq7
Duvenstedt ist der am weitesten im...
Das Grundstück
Details
Objektbeschreibung
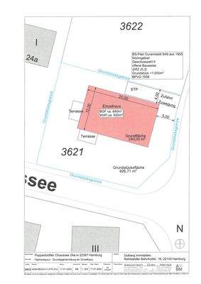
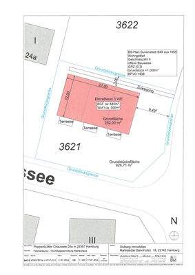
Das angebotene Grundstück liegt in zentraler Lage von Hamburg-Duvenstedt, ist ca. 926,71 m² und ohne Altbestand lieferbar.
Dieses Ecklagen-Grundstück offeriert mehrere Bebauungsmöglichkeiten.
Eventuell mögliche Varianten wären z.B.
1. Zwei Einzelhäuser auf einem Grundstück (Visualisierung Variante 1)
2...
Ausstattung
Besondere Highlights:
+ Eckgrundstück
+ Ca. 926,71 m²
+ BS-Plan Duvenstedt B49 aus 1955
+ Wohngebiet
+ Geschosszahl II
+ Offene Bauweise
+ GRZ 0,3
+ Baustellenzufahrt bereits vorhanden
+ Zentrale Lage in Duvenstedt
+ Eventuell denkbare Varianten:
1. Zwei Einfamilienhäuser (Variantenplan...
Weitere Informationen
Sonstiges
Sie wollen Ihre Immobilie verkaufen? Sprechen Sie uns an und vereinbaren Sie einen Termin für eine kostenlose Werteinschätzung. Entsprechend Ihrer Vorstellungen erhalten Sie von uns ein für Sie maßgeschneidertes Vermarktungskonzept für Ihre Immobilie.
Dolberg & Uderstadt Immobilien, Ihr...
Anbieter der Immobilie

Online-ID: 2lfhp5t
Referenznummer: HG1635YB
Finde Angebote wie dieses
Hier geht es zu unserem Impressum, den Allgemeinen Geschäftsbedingungen, den Hinweisen zum Datenschutz und nutzungsbasierter Online-Werbung.